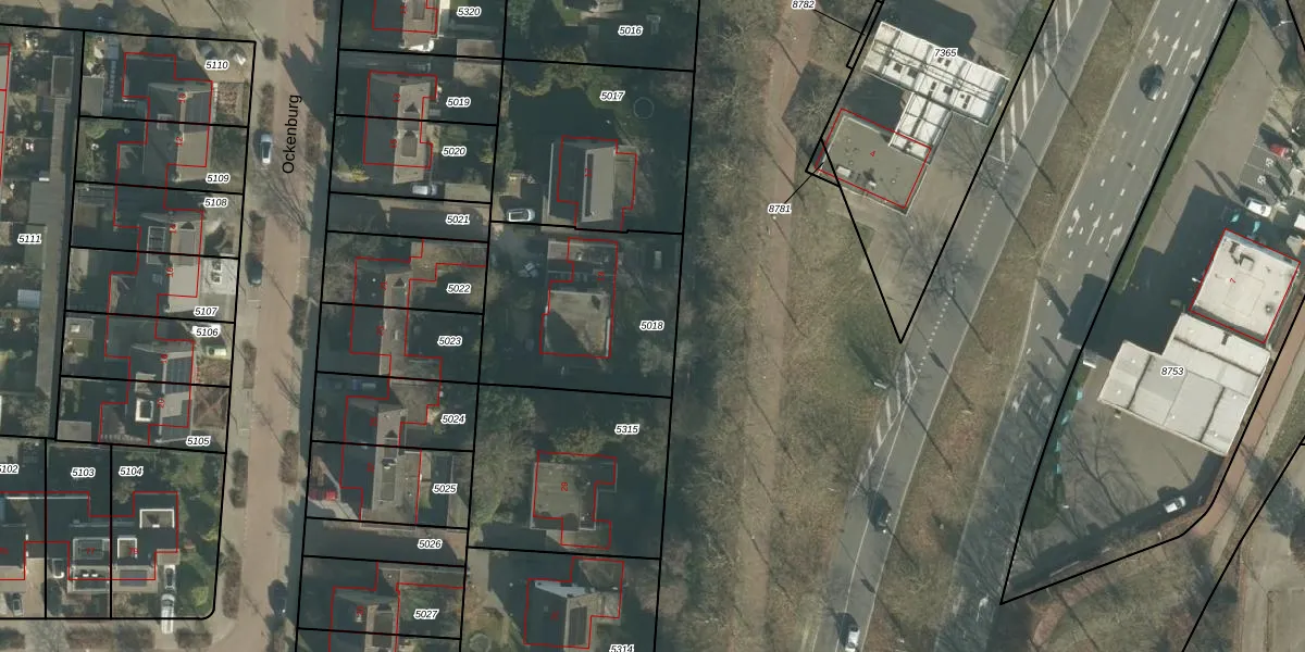
Perceel: OTH01-R-5018
752 m2 - 110 m
Eigenaar opvragen
OTH01-R-5018 (Oosterhout)
- 4901 CV
zff dk UzLwqVL Xh7keBiovGUpgrade naar KadastraleKaart Pro
Verkoopprijs opvragen
Bekijk op Street View
Download DWG/DXF/Excel
ZnHxrLwmRVHazDFUpgrade naar KadastraleKaart Pro
stzycgL2 Ivq2zAIr 8U9 Upgrade naar KadastraleKaart Pro
NaRxt s Upgrade naar KadastraleKaart Pro
r 0 D6fL tRETa eE9FUpgrade naar KadastraleKaart Pro
hrfzU4UMzUpgrade naar KadastraleKaart Pro
R2mGiaL9ZK9BKeFeI0nUpgrade naar KadastraleKaart Pro
Zy TZyNjUpgrade naar KadastraleKaart Pro
H sN hyXUpgrade naar KadastraleKaart Pro
tfM2HJi fk qBcixuaKUpgrade naar KadastraleKaart Pro
BIW9Vivf8qKjUpgrade naar KadastraleKaart Pro
02/11/2006

Percelen
Gebruik de zoekbalk of klik op een perceel om informatie over het perceel te bekijken.