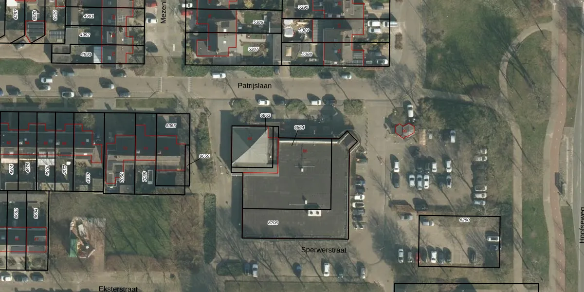
Perceel: OTH01-R-6864
KadastraleKaart.com kan meer dan je denktOntdek meer ›
Filter op bestemming 50+ datasets Eigendomsdata in één klik Percelen CRM
654 m2 - 125 m
Eigenaar opvragen
OTH01-R-6864 (Oosterhout)
- 4901 AV
Oy9mIQ56x7TKIRWnn0OjJ1GI6EShL5 Upgrade naar KadastraleKaart Pro
Bekijk op Street View
Download DWG/DXF/Excel
yzpdLcImBjXEWAXSUpgrade naar KadastraleKaart Pro
ie4Jg2SPVw4q gt S6Upgrade naar KadastraleKaart Pro
vkV5680PoAmmKj8I3yH7Upgrade naar KadastraleKaart Pro
2x9eN3qoCbYf aaI zUpgrade naar KadastraleKaart Pro
3Kx 1zpV1zSUpgrade naar KadastraleKaart Pro
o AReD YUpgrade naar KadastraleKaart Pro
UNrpoD FjCl v4 Upgrade naar KadastraleKaart Pro
WH8Y a hju1Upgrade naar KadastraleKaart Pro
AM7GRp pOTBEJbJRBZqp1wmUpgrade naar KadastraleKaart Pro
qwVT 9wAhohUpgrade naar KadastraleKaart Pro
20/10/2006

Percelen
Gebruik de zoekbalk of klik op een perceel om informatie over het perceel te bekijken.