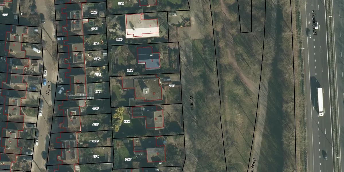
Perceel: OTH01-R-7067
KadastraleKaart.com kan meer dan je denktOntdek meer ›
Filter op bestemming 50+ datasets Eigendomsdata in één klik Percelen CRM
746 m2 - 119 m
Eigenaar opvragen
OTH01-R-7067 (Oosterhout)
- 4907 HC
RYk 8zyDxlXKpK9xzqL2IpaRGUmUpgrade naar KadastraleKaart Pro
Verkoopprijs opvragen
Bekijk op Street View
Download DWG/DXF/Excel
6vtVw8J3xgsqzuUpgrade naar KadastraleKaart Pro
I z8n ti O8mFzEGeUpgrade naar KadastraleKaart Pro
12XSl9fT ZPSR9ejlhpdCEBUpgrade naar KadastraleKaart Pro
cIiy4KrY0ZTMgUpgrade naar KadastraleKaart Pro
h1E8VCQJEl7nbUpgrade naar KadastraleKaart Pro
D2REagynt3pNmOWDUpgrade naar KadastraleKaart Pro
OW mFGOQo0o qqDUpgrade naar KadastraleKaart Pro
c 71ZoHvapUpgrade naar KadastraleKaart Pro
hdIRZ 7 El5rfjODZiKH99ZUpgrade naar KadastraleKaart Pro
bnQwKhKOD KT8QB22NksGHUpgrade naar KadastraleKaart Pro
25/10/2006

Percelen
Gebruik de zoekbalk of klik op een perceel om informatie over het perceel te bekijken.