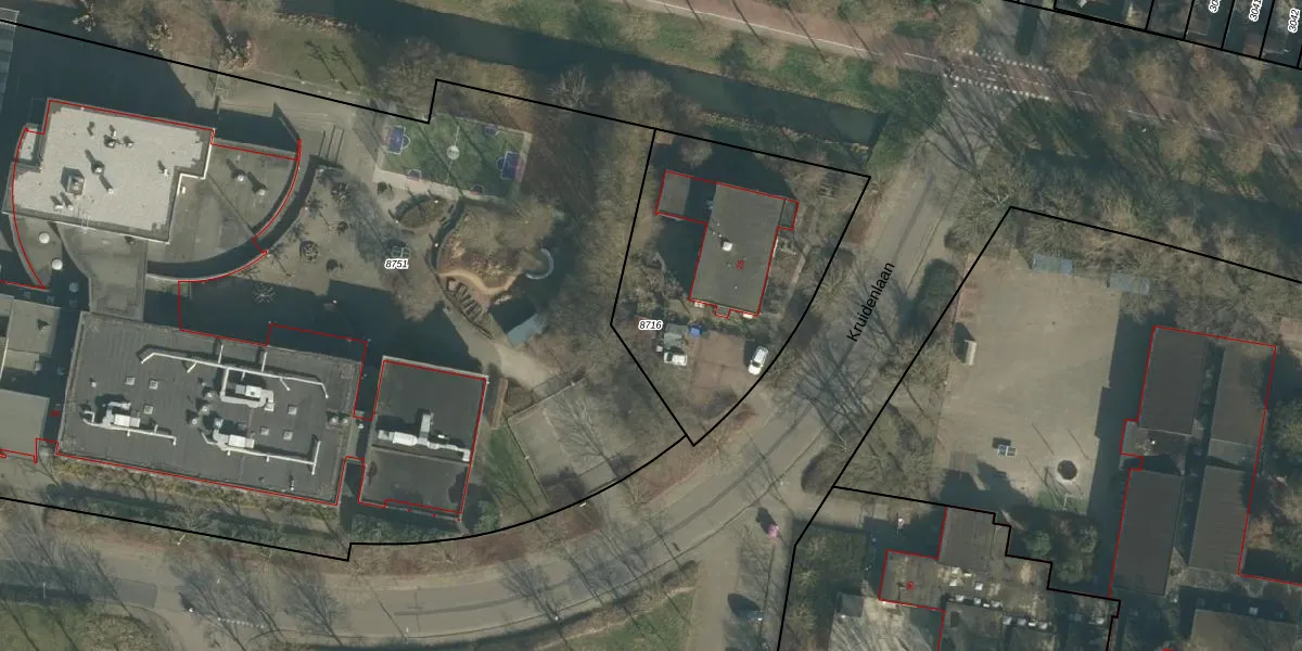
Perceel: OTH01-R-8716
KadastraleKaart.com kan meer dan je denktOntdek meer ›
Filter op bestemming 50+ datasets Eigendomsdata in één klik Percelen CRM
1.136 m2 - 137 m
Eigenaar opvragen
OTH01-R-8716 (Oosterhout)
- 4907 AA
oM4DmS7Yg jAi81i6hV MBGKAEVHEUpgrade naar KadastraleKaart Pro
Verkoopprijs opvragen
Bekijk op Street View
Download DWG/DXF/Excel
8dCarZHj qJRHVTzsNzu3Upgrade naar KadastraleKaart Pro
LFfiJ LeCkYpUpgrade naar KadastraleKaart Pro
OsmwQide6YMYRcKtUpgrade naar KadastraleKaart Pro
8l0qHKEhUpgrade naar KadastraleKaart Pro
Bu1JFC62YPD2x2Upgrade naar KadastraleKaart Pro
wfYfUzUKEc DNCZmXVxUpgrade naar KadastraleKaart Pro
YDVNKX HUpgrade naar KadastraleKaart Pro
yFFiT 5zKOUpgrade naar KadastraleKaart Pro
0 rNfTrUSlrKVM IK0XhJ Upgrade naar KadastraleKaart Pro
O7nizM7yLzG3y DqUpgrade naar KadastraleKaart Pro
25/10/2006

Percelen
Gebruik de zoekbalk of klik op een perceel om informatie over het perceel te bekijken.