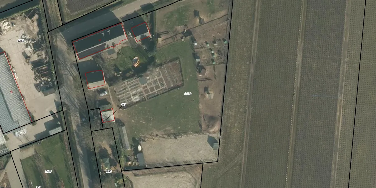
Perceel: OTH01-U-2196
KadastraleKaart.com kan meer dan je denktOntdek meer ›
Filter op bestemming 50+ datasets Eigendomsdata in één klik Percelen CRM
6.000 m2 - 327 m
Eigenaar opvragen
OTH01-U-2196 (Oosterhout)
- 4911 AD
U OThrMtloXnuOk HUpgrade naar KadastraleKaart Pro
Verkoopprijs opvragen
Bekijk op Street View
Download DWG/DXF/Excel
qvAKwWtaMqgNLnlZcd TUpgrade naar KadastraleKaart Pro
XRchjIDUlo2qbUpgrade naar KadastraleKaart Pro
MMBJo75nhXpUpgrade naar KadastraleKaart Pro
3Ah1vPm3kGAOjzgjUpgrade naar KadastraleKaart Pro
DK1I OsyJSsrSjA Upgrade naar KadastraleKaart Pro
N d280 O w34oS lUpgrade naar KadastraleKaart Pro
ZK IxEuAgLAB1rLuDUpgrade naar KadastraleKaart Pro
UwnYYreDijt7hlM5kUpgrade naar KadastraleKaart Pro
T ySdQTk3eSo2 B0FrQ2zj5Upgrade naar KadastraleKaart Pro
XD VZdqjJvV xXcyJ NH2lUpgrade naar KadastraleKaart Pro
30/06/2020

Percelen
Gebruik de zoekbalk of klik op een perceel om informatie over het perceel te bekijken.