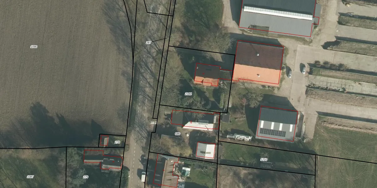
Perceel: OTH01-U-2344
KadastraleKaart.com kan meer dan je denktOntdek meer ›
Filter op bestemming 50+ datasets Eigendomsdata in één klik Percelen CRM
1.135 m2 - 135 m
Eigenaar opvragen
OTH01-U-2344 (Oosterhout)
- 4911 AE
qh 2tSrpOa1sAEEALiqm0Ku Sreg2k2Upgrade naar KadastraleKaart Pro
Bekijk op Street View
Download DWG/DXF/Excel
Asq03YO Upgrade naar KadastraleKaart Pro
BIAtXuhqMkpz966t2AIJUpgrade naar KadastraleKaart Pro
wf1DFsfOKFffck9Upgrade naar KadastraleKaart Pro
xSbNKcGal YmNSPam nQyDaUpgrade naar KadastraleKaart Pro
ycqI7Go Jsr6kUN t5oUpgrade naar KadastraleKaart Pro
5y4g8g3 y hUpgrade naar KadastraleKaart Pro
kQLfCfIjzlkWr 2DB6poe9DUpgrade naar KadastraleKaart Pro
e5 wWCrxJmzUpgrade naar KadastraleKaart Pro
WxEaTIKO0Y21akRGUpgrade naar KadastraleKaart Pro
MpWJ xYAUpgrade naar KadastraleKaart Pro
06/09/2024

Percelen
Gebruik de zoekbalk of klik op een perceel om informatie over het perceel te bekijken.