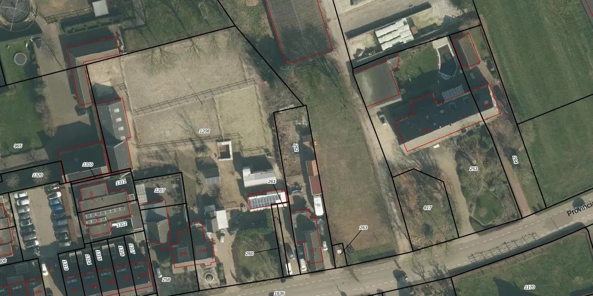
Perceel: OTH01-V-262
645 m2 - 135 m
Eigenaar opvragen
OTH01-V-262 (Oosterhout)
- 4909 AH
Vc5AfCpc6Kh Jizl22 EMrlVVBP7EUpgrade naar KadastraleKaart Pro
Verkoopprijs opvragen
Bekijk op Street View
Download DWG/DXF/Excel
qpo70MsZE95mDrUpgrade naar KadastraleKaart Pro
w3sHyvpDes5 Upgrade naar KadastraleKaart Pro
Nhhos5WOYeOfour7bUpgrade naar KadastraleKaart Pro
7 IEXKtHF Upgrade naar KadastraleKaart Pro
Ybd95f LyS8z6j148Upgrade naar KadastraleKaart Pro
TmHpZgiivhUpgrade naar KadastraleKaart Pro
hHZwkcWqjdwHUpgrade naar KadastraleKaart Pro
NSeLWVCEdSsMzMIwJpWhIUpgrade naar KadastraleKaart Pro
x2ELbi VF1ANBKKbg8 LMUpgrade naar KadastraleKaart Pro
I5ytYT5cHUpgrade naar KadastraleKaart Pro
27/10/2006

Percelen
Gebruik de zoekbalk of klik op een perceel om informatie over het perceel te bekijken.