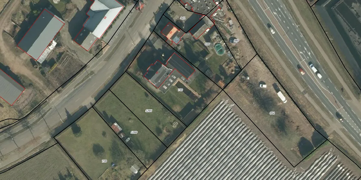
Perceel: OTH01-V-730
1.335 m2 - 152 m
Eigenaar opvragen
OTH01-V-730 (Oosterhout)
- 4909 AV
oDTrGY Uli9Ct SUAPv6fixkCO Upgrade naar KadastraleKaart Pro
Verkoopprijs opvragen
Bekijk op Street View
Download DWG/DXF/Excel
k47hwrrAB3 F3EUpgrade naar KadastraleKaart Pro
6bmH 34 ME2M DUpgrade naar KadastraleKaart Pro
wp9g0uW YWvF62jUpgrade naar KadastraleKaart Pro
5i0bKR ZPvjmLm80MYUpgrade naar KadastraleKaart Pro
m4AnfGudnHzZJKUpgrade naar KadastraleKaart Pro
k4fb4 XRT wQopKCLttDMlZUpgrade naar KadastraleKaart Pro
ZNCZ7FNmPUpgrade naar KadastraleKaart Pro
KLkC4QxvD8jM9dB4IZ mRUpgrade naar KadastraleKaart Pro
DRVR neOplMLUpgrade naar KadastraleKaart Pro
e0vzhDxtOsZgbNjUpgrade naar KadastraleKaart Pro
29/04/2009

Percelen
Gebruik de zoekbalk of klik op een perceel om informatie over het perceel te bekijken.