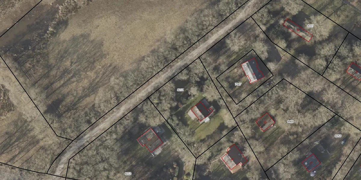
Perceel: OTH02-B-8211
KadastraleKaart.com kan meer dan je denktOntdek meer ›
Filter op bestemming 50+ datasets Eigendomsdata in één klik Percelen CRM
1.408 m2 - 152 m
Eigenaar opvragen
OTH02-B-8211 (Oosterhesselen)
- 7863 TL
h5PY1fsriAN1qjhlCqnkwkf37FhKUpgrade naar KadastraleKaart Pro
Verkoopprijs opvragen
Bekijk op Street View
Download DWG/DXF/Excel
wOMfMqo6q8XAJ ZolucJUpgrade naar KadastraleKaart Pro
tXtms1VaxTxUpgrade naar KadastraleKaart Pro
m t4OKGuxoDQPyjAnUpgrade naar KadastraleKaart Pro
P3sQhiArDmeZJJOS8AjUpgrade naar KadastraleKaart Pro
omgiwIvopwAq 3zikUpgrade naar KadastraleKaart Pro
2pK7AD6LHFr9WTOzS DUpgrade naar KadastraleKaart Pro
G rRhCy7dEJbrw2B1YqUpgrade naar KadastraleKaart Pro
bjj4xjd7kkw Upgrade naar KadastraleKaart Pro
fQj a NRv9xozNrWUpgrade naar KadastraleKaart Pro
NtwK9JkztrZmK0H8KUpgrade naar KadastraleKaart Pro
16/10/2009

Percelen
Gebruik de zoekbalk of klik op een perceel om informatie over het perceel te bekijken.