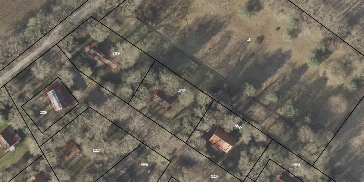
Perceel: OTH02-B-8316
KadastraleKaart.com kan meer dan je denktOntdek meer ›
Filter op bestemming 50+ datasets Eigendomsdata in één klik Percelen CRM
1.103 m2 - 134 m
Eigenaar opvragen
OTH02-B-8316 (Oosterhesselen)
- 7863 TL
x oDktE43KATfQHrzq3GUDUpgrade naar KadastraleKaart Pro
Bekijk op Street View
Download DWG/DXF/Excel
C6MYsfyseUpgrade naar KadastraleKaart Pro
J9pcff jrUpgrade naar KadastraleKaart Pro
Tp0adPTioktmdKUpgrade naar KadastraleKaart Pro
jGRbpdGqdUpgrade naar KadastraleKaart Pro
c36CDHWGWNrdWU 6imjUpgrade naar KadastraleKaart Pro
PBsOQPFKQi0XROAwIJo OgUpgrade naar KadastraleKaart Pro
An z4jfeDOVhUpgrade naar KadastraleKaart Pro
SH41MfzoxNQErJs2Upgrade naar KadastraleKaart Pro
Ul2zuLe5NUpgrade naar KadastraleKaart Pro
hK X9jnFO Upgrade naar KadastraleKaart Pro
16/10/2009

Percelen
Gebruik de zoekbalk of klik op een perceel om informatie over het perceel te bekijken.