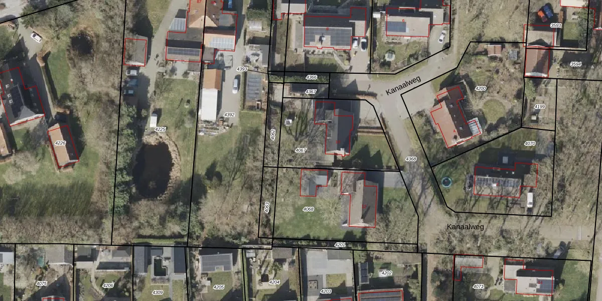
Perceel: OTH02-C-4067
KadastraleKaart.com kan meer dan je denktOntdek meer ›
Filter op bestemming 50+ datasets Eigendomsdata in één klik Percelen CRM
804 m2 - 118 m
Eigenaar opvragen
OTH02-C-4067 (Oosterhesselen)
- 7917 TB
2CEoz3M4 MDP6LMdIletT 8l4uRDWtUpgrade naar KadastraleKaart Pro
Verkoopprijs opvragen
Bekijk op Street View
Download DWG/DXF/Excel
oQ02cWqx EJ IsSjKUpgrade naar KadastraleKaart Pro
2P3MCm qnGlsUpgrade naar KadastraleKaart Pro
Aa9 OdyP CYcqUpgrade naar KadastraleKaart Pro
G0tpey6Q1PUpgrade naar KadastraleKaart Pro
Y68z vWKwJxm 9bUpgrade naar KadastraleKaart Pro
kPwda 316RdUftyosW5BMrFUpgrade naar KadastraleKaart Pro
ZeA 0LczzqWF0A45GwUkte2Upgrade naar KadastraleKaart Pro
4MugXQALjShMUpgrade naar KadastraleKaart Pro
ils0YF JgaKFHDwbpnUpgrade naar KadastraleKaart Pro
bmf zqgBUS8Vays8FBCzSk7Upgrade naar KadastraleKaart Pro
28/08/2003

Percelen
Gebruik de zoekbalk of klik op een perceel om informatie over het perceel te bekijken.