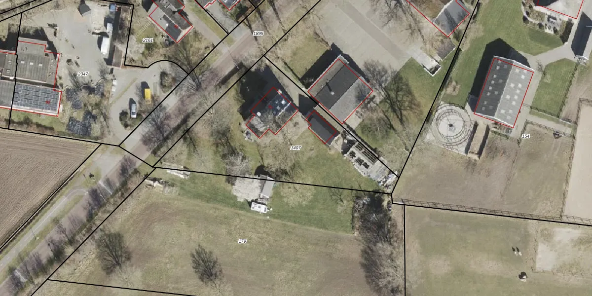
Perceel: OTH02-E-1407
KadastraleKaart.com kan meer dan je denktOntdek meer ›
Filter op bestemming 50+ datasets Eigendomsdata in één klik Percelen CRM
1.860 m2 - 202 m
Eigenaar opvragen
OTH02-E-1407 (Oosterhesselen)
- 7863 PB
Yf 3pgrr8Gx7tmRHE3KC4 ZssUpgrade naar KadastraleKaart Pro
Bekijk op Street View
Download DWG/DXF/Excel
oyxsTVSb5h4he3Upgrade naar KadastraleKaart Pro
Ywtsb oacqhfLWkkg7Upgrade naar KadastraleKaart Pro
A6f9t3h 3GOUpgrade naar KadastraleKaart Pro
dN2qyLcpsaobEGgbPwUpgrade naar KadastraleKaart Pro
Jig8m04190ARjlJAHQ2F Upgrade naar KadastraleKaart Pro
3DvAGuI OXbFCLKUpgrade naar KadastraleKaart Pro
1TM0aqHKF9Upgrade naar KadastraleKaart Pro
Fh10JPrHeUpgrade naar KadastraleKaart Pro
TWZn cYfdnjo8exUpgrade naar KadastraleKaart Pro
wHRWHvAHdZH7Upgrade naar KadastraleKaart Pro
20/08/2003

Percelen
Gebruik de zoekbalk of klik op een perceel om informatie over het perceel te bekijken.