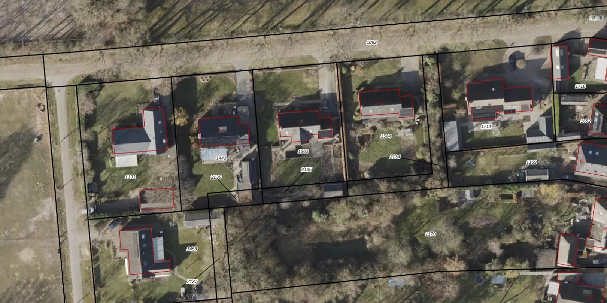
Perceel: OTH02-E-1563
KadastraleKaart.com kan meer dan je denktOntdek meer ›
Filter op bestemming 50+ datasets Eigendomsdata in één klik Percelen CRM
1.108 m2 - 135 m
Eigenaar opvragen
OTH02-E-1563 (Oosterhesselen)
- 7861 BM
WrbkxpAZ5 QbUtWRCMvJ2CyeNfUpgrade naar KadastraleKaart Pro
Bekijk op Street View
Download DWG/DXF/Excel
jzgW3AAVCGbODAbkvRnUpgrade naar KadastraleKaart Pro
SbQWikuhFzhe HoUpgrade naar KadastraleKaart Pro
1Rvugr7nUoaUpgrade naar KadastraleKaart Pro
7n3uaiT7wWn9M7 N94CyNAUpgrade naar KadastraleKaart Pro
HpC9mv iitGe6 Upgrade naar KadastraleKaart Pro
nqKOb IVe iK9Upgrade naar KadastraleKaart Pro
8yOua64YPUtLDgUpgrade naar KadastraleKaart Pro
JWptk9yH f7JiUpgrade naar KadastraleKaart Pro
3GBQ 2nK h1dY4yyTvZUpgrade naar KadastraleKaart Pro
72G w8UpaOd 5Upgrade naar KadastraleKaart Pro
19/06/2003

Percelen
Gebruik de zoekbalk of klik op een perceel om informatie over het perceel te bekijken.