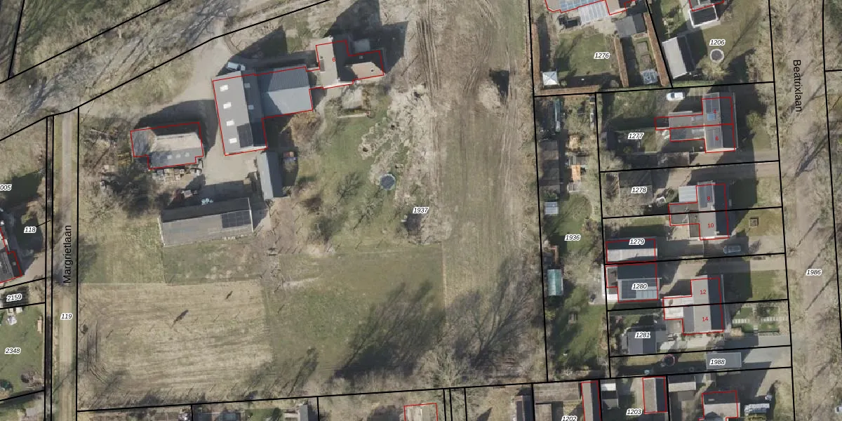
Perceel: OTH02-E-1937
KadastraleKaart.com kan meer dan je denktOntdek meer ›
Filter op bestemming 50+ datasets Eigendomsdata in één klik Percelen CRM
9.855 m2 - 401 m
Eigenaar opvragen
OTH02-E-1937 (Oosterhesselen)
- 7861 TG
DSKCSV 9YF qqyRoS3tUpgrade naar KadastraleKaart Pro
Verkoopprijs opvragen
Bekijk op Street View
Download DWG/DXF/Excel
Wso E pDfUpgrade naar KadastraleKaart Pro
v8W7AlAvywUpgrade naar KadastraleKaart Pro
i5TyluAWEsnAUpgrade naar KadastraleKaart Pro
6jwn nK9aUUpgrade naar KadastraleKaart Pro
n Z l imka91jjfDh27Upgrade naar KadastraleKaart Pro
bk9Z7cE NN 4MOv0Upgrade naar KadastraleKaart Pro
q6JDvR5Idcn tngJj9 Upgrade naar KadastraleKaart Pro
CTCXTAenDRUpgrade naar KadastraleKaart Pro
c9Jz I6JZ3HC5j1iN2 gQDUpgrade naar KadastraleKaart Pro
iXgt1EdldOPNpNfrfxuUpgrade naar KadastraleKaart Pro
28/01/2025

Percelen
Gebruik de zoekbalk of klik op een perceel om informatie over het perceel te bekijken.