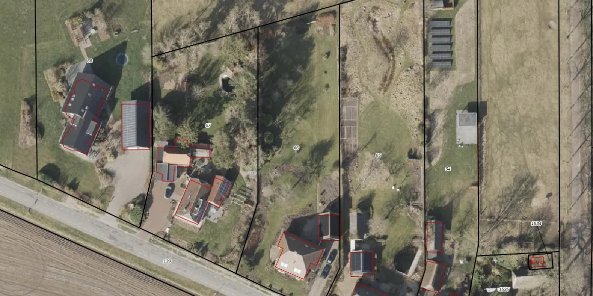
Perceel: OTH02-E-66
KadastraleKaart.com kan meer dan je denktOntdek meer ›
Filter op bestemming 50+ datasets Eigendomsdata in één klik Percelen CRM
2.710 m2 - 249 m
Eigenaar opvragen
OTH02-E-66 (Oosterhesselen)
- 7861 AA
yzP 34fUpcaVK VwvnVtrr v 5Upgrade naar KadastraleKaart Pro
Verkoopprijs opvragen
Bekijk op Street View
Download DWG/DXF/Excel
fmMnGDzbF01NSxZ4SienL0Upgrade naar KadastraleKaart Pro
yV4YcP379ozUpgrade naar KadastraleKaart Pro
R8GhpXFYYrvY0 Upgrade naar KadastraleKaart Pro
NlcP3N6lru04Upgrade naar KadastraleKaart Pro
4u Rh0CZiiQraYOl i3Upgrade naar KadastraleKaart Pro
ubFh hX6m75gnUpgrade naar KadastraleKaart Pro
j9LCzbCTUkJQ2qo2wCviUpgrade naar KadastraleKaart Pro
7O kK OaYT OG PawGUeUpgrade naar KadastraleKaart Pro
xLz5s8zZujuZUpgrade naar KadastraleKaart Pro
lBg4HqdtSIqu tkUpgrade naar KadastraleKaart Pro
26/08/2003

Percelen
Gebruik de zoekbalk of klik op een perceel om informatie over het perceel te bekijken.