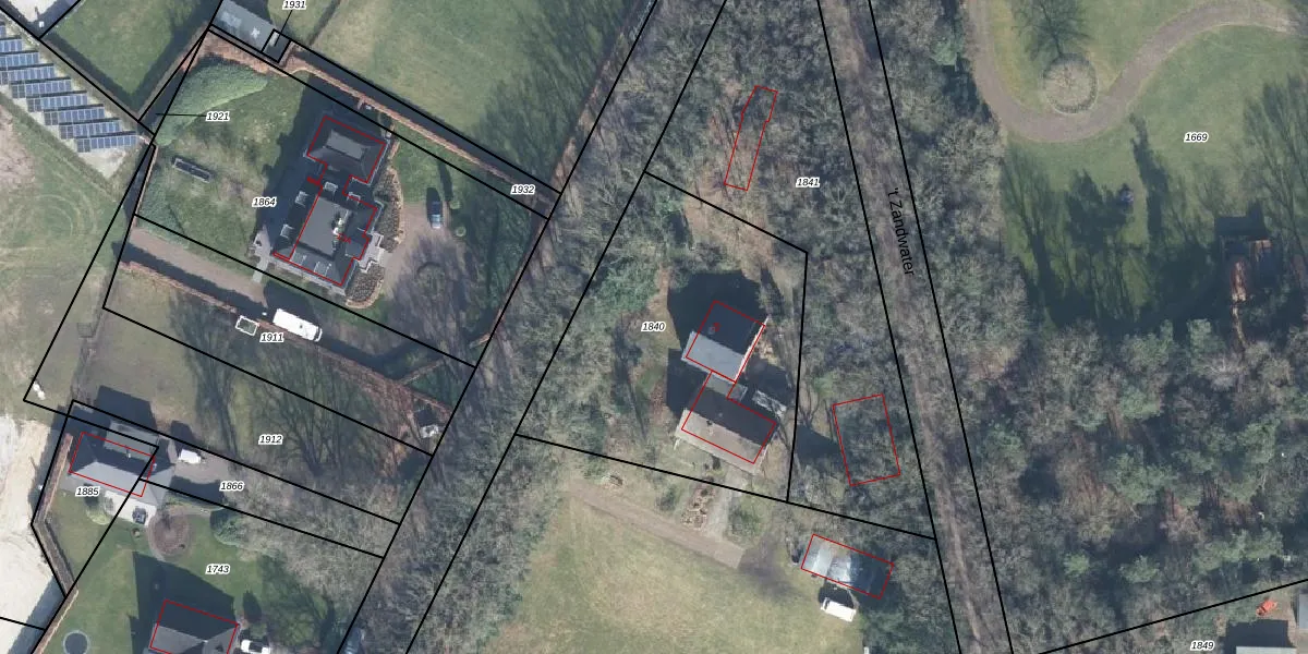
Perceel: OTL02-A-1840
KadastraleKaart.com kan meer dan je denktOntdek meer ›
Filter op bestemming 50+ datasets Eigendomsdata in één klik Percelen CRM
1.420 m2 - 154 m
Eigenaar opvragen
OTL02-A-1840 (Otterlo)
- 6732 EK
8fqCWybR5rU7W3ivNRAeV7r1Y ilqUpgrade naar KadastraleKaart Pro
Verkoopprijs opvragen
Bekijk op Street View
Download DWG/DXF/Excel
L6R8vfCSVUpgrade naar KadastraleKaart Pro
tA4GAqU2oUpgrade naar KadastraleKaart Pro
ryTAPQ8UJvlrN9SUpgrade naar KadastraleKaart Pro
dkFo 82v4rLzM0uXK0z OkUpgrade naar KadastraleKaart Pro
n93u4eJh Upgrade naar KadastraleKaart Pro
JXXRx2lgFJrro3ul 4XP2 Upgrade naar KadastraleKaart Pro
ZyxMjSRdiUpgrade naar KadastraleKaart Pro
P 3J 45nEUYz6JYK0IBwuyUpgrade naar KadastraleKaart Pro
ukMIdC A66Upgrade naar KadastraleKaart Pro
bapr0zR8YbdcJTUpgrade naar KadastraleKaart Pro
01/08/2016

Percelen
Gebruik de zoekbalk of klik op een perceel om informatie over het perceel te bekijken.