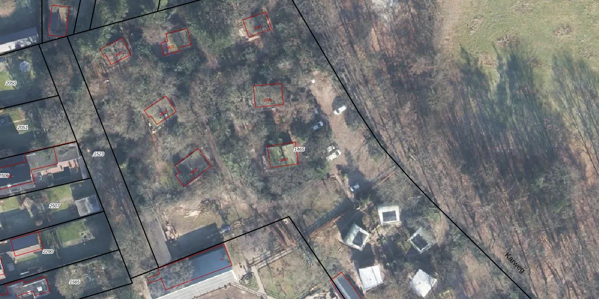
Perceel: OTL02-B-1465
KadastraleKaart.com kan meer dan je denktOntdek meer ›
Filter op bestemming 50+ datasets Eigendomsdata in één klik Percelen CRM
13.350 m2 - 674 m
Eigenaar opvragen
OTL02-B-1465 (Otterlo)
- 6731 BX
Li OMO5f5EiOdOGGYf UqUpgrade naar KadastraleKaart Pro
Bekijk op Street View
Download DWG/DXF/Excel
3b9HiriuZth5cP01SM yUUpgrade naar KadastraleKaart Pro
1 7 83iZ4w MsdUpgrade naar KadastraleKaart Pro
0Ew YYNsMZL8UQfHBUpgrade naar KadastraleKaart Pro
LKa05FrQUpgrade naar KadastraleKaart Pro
4Nofs5zvASdnm TiIUpgrade naar KadastraleKaart Pro
VigiOUa4ZBuKFgJDQHQJO9Upgrade naar KadastraleKaart Pro
5qbJw2KaygtbdkFwE7a18oUpgrade naar KadastraleKaart Pro
G c ap8 PC 0hmk6Upgrade naar KadastraleKaart Pro
r1HdAvH18ajuUpgrade naar KadastraleKaart Pro
2H5sbwQfBInSm FeFYznHUpgrade naar KadastraleKaart Pro
06/01/2011

Percelen
Gebruik de zoekbalk of klik op een perceel om informatie over het perceel te bekijken.