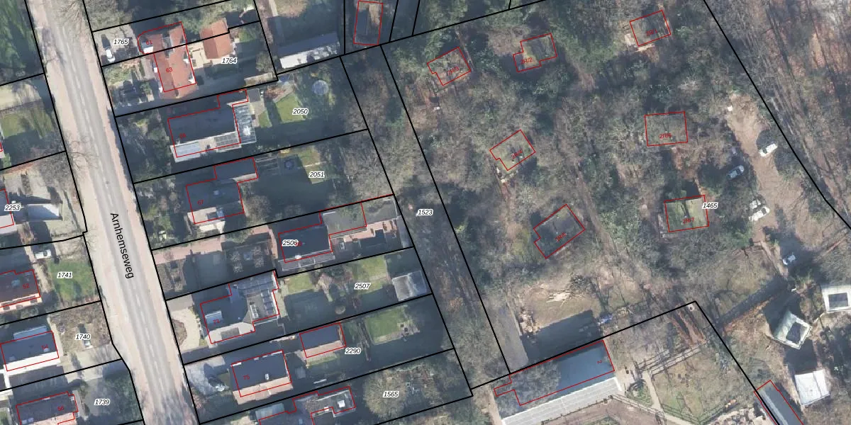
Perceel: OTL02-B-1523
KadastraleKaart.com kan meer dan je denktOntdek meer ›
Filter op bestemming 50+ datasets Eigendomsdata in één klik Percelen CRM
Geen adressen bij dit perceel
840 m2 - 187 m
Eigenaar opvragen
OTL02-B-1523 (Otterlo)
- Geen postcode aanwezig
d25NpGjv 1lI5ZVpUpgrade naar KadastraleKaart Pro
Bekijk op Street View
Download DWG/DXF/Excel
AKq4OVN eXFoacCMdewUpgrade naar KadastraleKaart Pro
bu BdWlLngl7cUp6 dw dorUpgrade naar KadastraleKaart Pro
1MQvbrmG pSo Upgrade naar KadastraleKaart Pro
aQYwExrlQQ 7JsW f nxXUpgrade naar KadastraleKaart Pro
eYvUVX8NpqEGzUErrBq OG Upgrade naar KadastraleKaart Pro
dpdT YqTpD6kVUpgrade naar KadastraleKaart Pro
aFa0a Vf gQ o5SzlWUpgrade naar KadastraleKaart Pro
IatGCrnWUpgrade naar KadastraleKaart Pro
7dsWlDU Vl9xmka1jpiepIzUpgrade naar KadastraleKaart Pro
KW6V Jkv VriUpgrade naar KadastraleKaart Pro
25/04/2006

Percelen
Gebruik de zoekbalk of klik op een perceel om informatie over het perceel te bekijken.