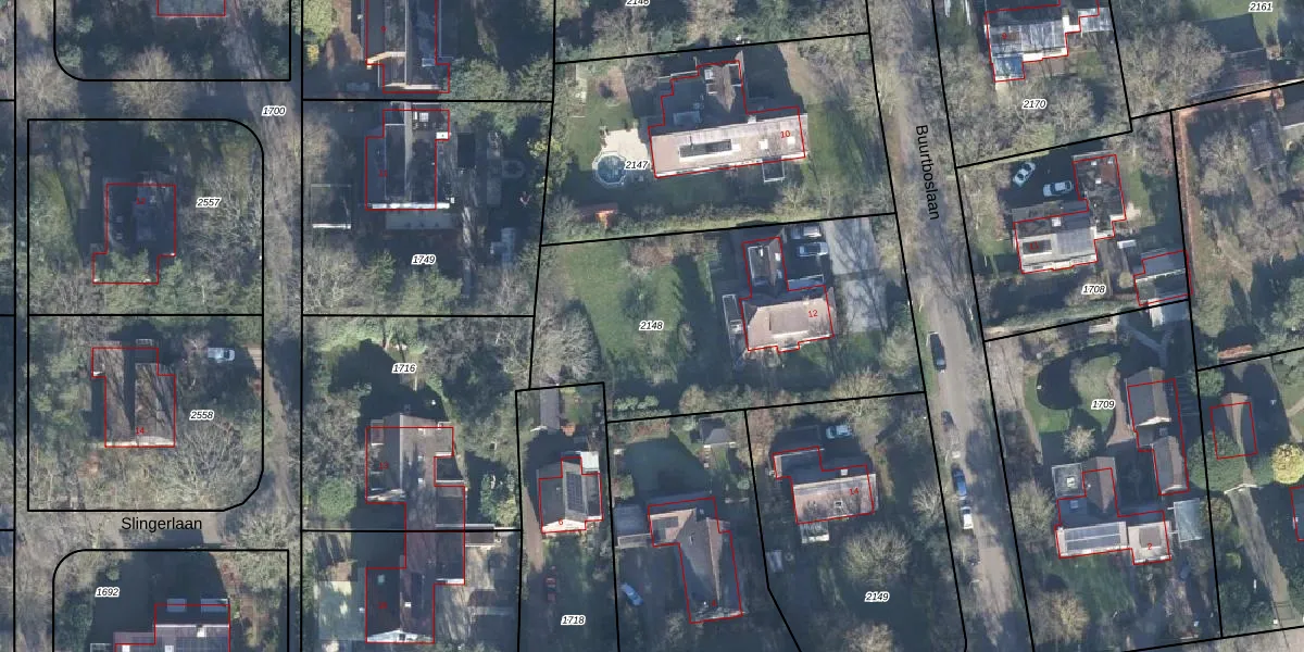
Perceel: OTL02-B-2148
KadastraleKaart.com kan meer dan je denktOntdek meer ›
Filter op bestemming 50+ datasets Eigendomsdata in één klik Percelen CRM
1.560 m2 - 171 m
Eigenaar opvragen
OTL02-B-2148 (Otterlo)
- 6731 CZ
ni 4Cl66rJ64N7woFbC8uU5WNUpgrade naar KadastraleKaart Pro
Verkoopprijs opvragen
Bekijk op Street View
Download DWG/DXF/Excel
zlzaMGhlkZ BGKb4q zUpgrade naar KadastraleKaart Pro
m un5XZIKGhWZ5sbxava0Upgrade naar KadastraleKaart Pro
cvNzA FCGcabehiYbPAJiUpgrade naar KadastraleKaart Pro
uHFIA1VhaPzrjbSPA7RRUpgrade naar KadastraleKaart Pro
aBk8riH8 JdK5UXE5V Upgrade naar KadastraleKaart Pro
4R34P455EOo aUpgrade naar KadastraleKaart Pro
homCBTb0FmtQHUpgrade naar KadastraleKaart Pro
hw1214woKL9a QlKSxWUpgrade naar KadastraleKaart Pro
Ua GcfKw Upgrade naar KadastraleKaart Pro
O 9ibJ9OGT7g8AAHyOUpgrade naar KadastraleKaart Pro
10/11/2000

Percelen
Gebruik de zoekbalk of klik op een perceel om informatie over het perceel te bekijken.