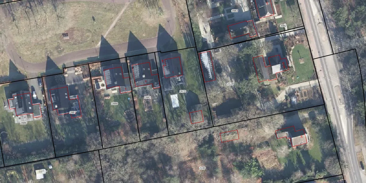
Perceel: OTL02-B-2670
1.080 m2 - 140 m
Eigenaar opvragen
OTL02-B-2670 (Otterlo)
- 6731 BW
U4Vu56 8tMhE5ceC2CUpgrade naar KadastraleKaart Pro
Bekijk op Street View
Download DWG/DXF/Excel
kAI oxTJfUpgrade naar KadastraleKaart Pro
485eI XZAUpgrade naar KadastraleKaart Pro
rbkSpNp PTzUpgrade naar KadastraleKaart Pro
1eOqYbx2mSmwHxfFUpgrade naar KadastraleKaart Pro
y L3e baVz0JB fFQRUpgrade naar KadastraleKaart Pro
YLwqTAkapUpgrade naar KadastraleKaart Pro
otguO JlUpgrade naar KadastraleKaart Pro
EnhrtM6au2 MGw70yP4TUpgrade naar KadastraleKaart Pro
JAmo65qN QAPrUpgrade naar KadastraleKaart Pro
zWr6Izmj9 Upgrade naar KadastraleKaart Pro
02/07/2018

Percelen
Gebruik de zoekbalk of klik op een perceel om informatie over het perceel te bekijken.