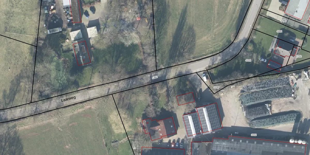
Perceel: OTL02-E-1362
KadastraleKaart.com kan meer dan je denktOntdek meer ›
Filter op bestemming 50+ datasets Eigendomsdata in één klik Percelen CRM
Geen adressen bij dit perceel
11.790 m2 - 3.057 m
Eigenaar opvragen
OTL02-E-1362 (Otterlo)
- Geen postcode aanwezig
zGBcntc4 1NxUGNxBm kyUpgrade naar KadastraleKaart Pro
Bekijk op Street View
Download DWG/DXF/Excel
NHZ7j umCz 1rNHc3oUpgrade naar KadastraleKaart Pro
Ykyrj1Ag Upgrade naar KadastraleKaart Pro
Bifw4 lFkREWIG0ISoqhWL1Upgrade naar KadastraleKaart Pro
tpWF E2LF92Upgrade naar KadastraleKaart Pro
XGisW4oqmhUpgrade naar KadastraleKaart Pro
tNON826n VMV3n rBwYEaUpgrade naar KadastraleKaart Pro
p3s b OImXC6Nd1660kUpgrade naar KadastraleKaart Pro
hHOV r7a4LABGm0f 6mVJCeUpgrade naar KadastraleKaart Pro
bv7Byd6 GMBO UnSvEU2iUpgrade naar KadastraleKaart Pro
iUMo00ed icMnzNKUpgrade naar KadastraleKaart Pro
11/06/2025

Percelen
Gebruik de zoekbalk of klik op een perceel om informatie over het perceel te bekijken.