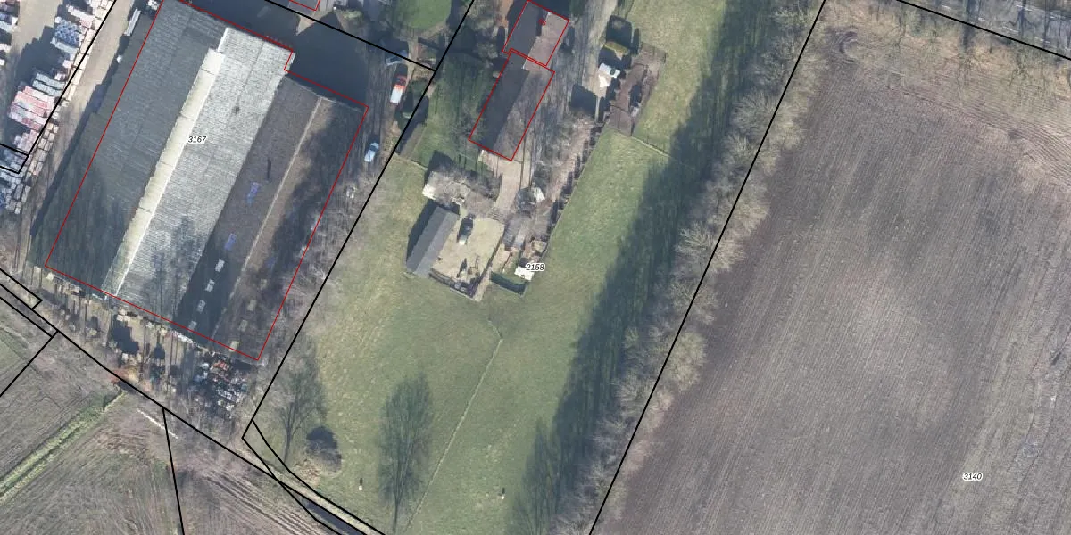
Perceel: OTL02-E-2158
KadastraleKaart.com kan meer dan je denktOntdek meer ›
Filter op bestemming 50+ datasets Eigendomsdata in één klik Percelen CRM
7.920 m2 - 377 m
Eigenaar opvragen
OTL02-E-2158 (Otterlo)
- 6733 AN
BCunEi9zn6Nks45jX5uFhVxy0QUpgrade naar KadastraleKaart Pro
Verkoopprijs opvragen
Bekijk op Street View
Download DWG/DXF/Excel
mn9fdaLyvWjwgoNs7N1sUpgrade naar KadastraleKaart Pro
TwCv8q js05v6l5XNGuzWUpgrade naar KadastraleKaart Pro
mQpiUxdQIAwqaNAUpgrade naar KadastraleKaart Pro
35UdKgzPPUpgrade naar KadastraleKaart Pro
sv9o ljVDqx K7TjYUv Upgrade naar KadastraleKaart Pro
pd zPwD Qsh IrKvLRGUpgrade naar KadastraleKaart Pro
9EQPI oFTUjAx4DHnk0FbUpgrade naar KadastraleKaart Pro
k3zzONp717QSuJz1k pURUpgrade naar KadastraleKaart Pro
PJYlSL gUpgrade naar KadastraleKaart Pro
gD0JMf3 d0wyKr3nClahzUpgrade naar KadastraleKaart Pro
23/06/2021

Percelen
Gebruik de zoekbalk of klik op een perceel om informatie over het perceel te bekijken.