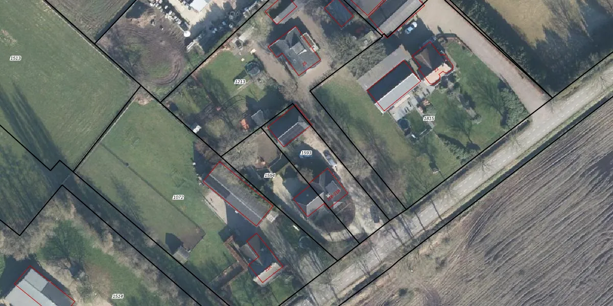
Perceel: OTL02-F-1593
KadastraleKaart.com kan meer dan je denktOntdek meer ›
Filter op bestemming 50+ datasets Eigendomsdata in één klik Percelen CRM
645 m2 - 125 m
Eigenaar opvragen
OTL02-F-1593 (Otterlo)
- 6732 DG
H1OP4 7m6nOkyp4 Upgrade naar KadastraleKaart Pro
Verkoopprijs opvragen
Bekijk op Street View
Download DWG/DXF/Excel
CQ3YHodj L2ii6P82ogZwSPUpgrade naar KadastraleKaart Pro
ze2wjn LSxsSS r0Upgrade naar KadastraleKaart Pro
Pq8Bcohs9RdJ4B7xo Mn Upgrade naar KadastraleKaart Pro
1aQf72gjGnM5rPgzdFRBtt Upgrade naar KadastraleKaart Pro
GrLlgh tUpgrade naar KadastraleKaart Pro
a YtFcLDUpgrade naar KadastraleKaart Pro
G9GERt8efAfUpgrade naar KadastraleKaart Pro
YnhbJCdwb2O1XsmyEqjiKUpgrade naar KadastraleKaart Pro
Inwi4GTP9R4qvDqex65Upgrade naar KadastraleKaart Pro
A0VM 6Tz5Cre2Qwm 3DUpgrade naar KadastraleKaart Pro
08/04/2002

Percelen
Gebruik de zoekbalk of klik op een perceel om informatie over het perceel te bekijken.