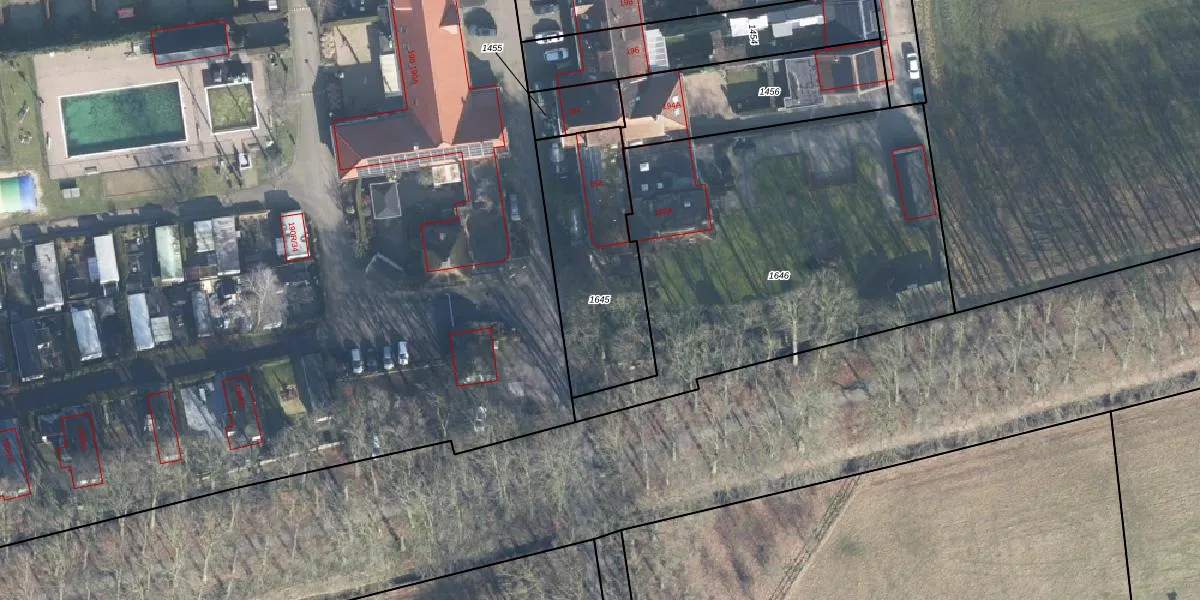
Perceel: OTL02-F-1645
KadastraleKaart.com kan meer dan je denktOntdek meer ›
Filter op bestemming 50+ datasets Eigendomsdata in één klik Percelen CRM
590 m2 - 117 m
Eigenaar opvragen
OTL02-F-1645 (Otterlo)
- 6732 DC
2 BtrmYSw3vAe3gMp9TQ2wBUpgrade naar KadastraleKaart Pro
Bekijk op Street View
Download DWG/DXF/Excel
TQSFoaaHXzw d1WOUPZJkhmUpgrade naar KadastraleKaart Pro
ln8udI26vUpgrade naar KadastraleKaart Pro
Fb V TO0Hm F0AvVLUpgrade naar KadastraleKaart Pro
qBQMYKEpnBVXn M6tUpgrade naar KadastraleKaart Pro
VnfEgAbHE YUpgrade naar KadastraleKaart Pro
4CCuNzeZNMsuunm9TG6Upgrade naar KadastraleKaart Pro
OfCBFVhN3Rm1 F6hUpgrade naar KadastraleKaart Pro
XPEeALQRLqUpgrade naar KadastraleKaart Pro
Ih 8aInlTGUpgrade naar KadastraleKaart Pro
Z1qfsjjR Upgrade naar KadastraleKaart Pro
21/01/2008

Percelen
Gebruik de zoekbalk of klik op een perceel om informatie over het perceel te bekijken.