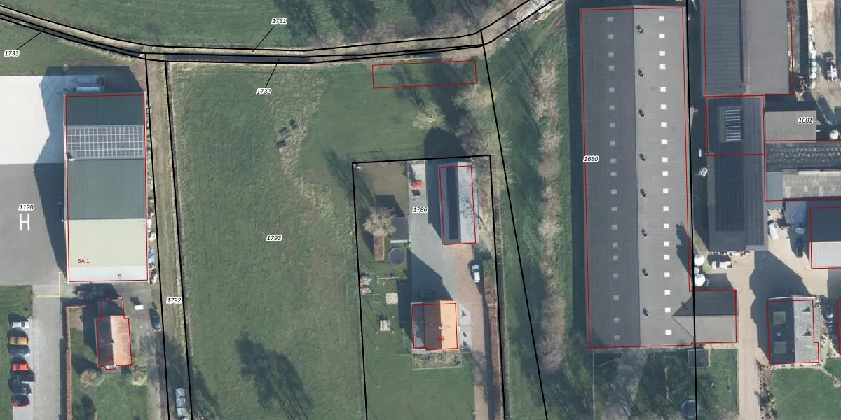
Perceel: OTL02-F-1786
KadastraleKaart.com kan meer dan je denktOntdek meer ›
Filter op bestemming 50+ datasets Eigendomsdata in één klik Percelen CRM
2.210 m2 - 197 m
Eigenaar opvragen
OTL02-F-1786 (Otterlo)
- 6732 GT
cc aiVTgHMEwyN H tGksTRJUpgrade naar KadastraleKaart Pro
Verkoopprijs opvragen
Bekijk op Street View
Download DWG/DXF/Excel
lGSg6f 0IN 7lHxoIUpgrade naar KadastraleKaart Pro
2 7nJjkTGzk0DnYNW6Upgrade naar KadastraleKaart Pro
lCB p9BikWvTykIHk0XVUpgrade naar KadastraleKaart Pro
Dwt 6en2X7zt7 GC 4Upgrade naar KadastraleKaart Pro
yyLWxuc3SUpgrade naar KadastraleKaart Pro
zXCj xpRFZ RZkUpgrade naar KadastraleKaart Pro
RUwIC a9QHUpgrade naar KadastraleKaart Pro
GpxgPs8dsTg84yUpgrade naar KadastraleKaart Pro
DF2hid1AJKMpPmUpgrade naar KadastraleKaart Pro
ED2kKWP6onKnrYbSRUpgrade naar KadastraleKaart Pro
15/10/2020

Percelen
Gebruik de zoekbalk of klik op een perceel om informatie over het perceel te bekijken.