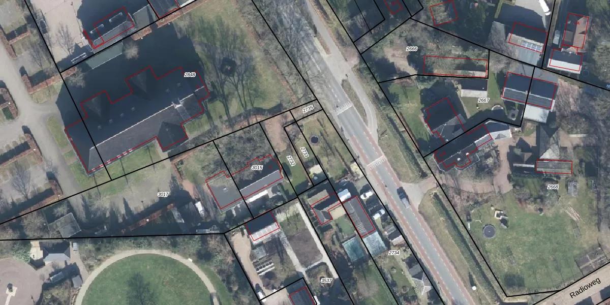
Perceel: OTL02-G-2733
Geen adressen bij dit perceel
100 m2 - 53 m
Eigenaar opvragen
OTL02-G-2733 (Otterlo)
- Geen postcode aanwezig
Bzzga t ow7r MOnx43il4LnD hRUwXUpgrade naar KadastraleKaart Pro
Bekijk op Street View
Download DWG/DXF/Excel
AcMSskZpSUpgrade naar KadastraleKaart Pro
EYi 7f5AjY9DlNHNGUpgrade naar KadastraleKaart Pro
dtMm Y2LNNUpgrade naar KadastraleKaart Pro
CFSU0iAUpgrade naar KadastraleKaart Pro
frqW6kexXIxH9CRu61VZFjUpgrade naar KadastraleKaart Pro
XOMMcOZ58S IaI 79lX Upgrade naar KadastraleKaart Pro
hZX52HLTUpgrade naar KadastraleKaart Pro
I66efLItUpgrade naar KadastraleKaart Pro
3oZgrXFAd DxsL8f0 oIqUpgrade naar KadastraleKaart Pro
z4DI5htKDUpgrade naar KadastraleKaart Pro
28/12/2000

Percelen
Gebruik de zoekbalk of klik op een perceel om informatie over het perceel te bekijken.