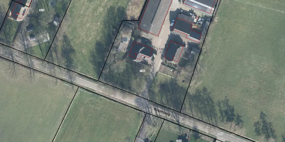
Perceel: OTL02-G-2786
4.600 m2 - 287 m
Eigenaar opvragen
OTL02-G-2786 (Otterlo)
- 6732 EW
jOpU 68CPRjuEEs Upgrade naar KadastraleKaart Pro
Verkoopprijs opvragen
Bekijk op Street View
Download DWG/DXF/Excel
YoWGQ7wgVlGvN Upgrade naar KadastraleKaart Pro
qWxw4yl77AN2Upgrade naar KadastraleKaart Pro
7u OjvZt5Upgrade naar KadastraleKaart Pro
HsagW1cga5qpe75Upgrade naar KadastraleKaart Pro
FywmOMteNRt2qA0amSUpgrade naar KadastraleKaart Pro
t N u PtD Gml GE zcMsUpgrade naar KadastraleKaart Pro
58iSKGcZ8 0I V7Upgrade naar KadastraleKaart Pro
vt6 bD1SzvEU y 5N bpUpgrade naar KadastraleKaart Pro
XFk6NUT6SIvECw3j5Upgrade naar KadastraleKaart Pro
NaZs0hebaRvQfvTrdUpgrade naar KadastraleKaart Pro
29/05/2002

Percelen
Gebruik de zoekbalk of klik op een perceel om informatie over het perceel te bekijken.