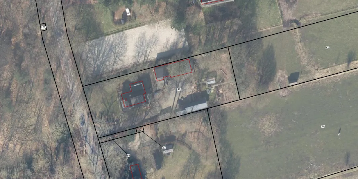
Perceel: OTL02-I-52
KadastraleKaart.com kan meer dan je denktOntdek meer ›
Filter op bestemming 50+ datasets Eigendomsdata in één klik Percelen CRM
2.468 m2 - 227 m
Eigenaar opvragen
OTL02-I-52 (Otterlo)
- 7352 TA
jSY rhP rH SHv2fIAMUfUpgrade naar KadastraleKaart Pro
Verkoopprijs opvragen
Bekijk op Street View
Download DWG/DXF/Excel
xP7PyRpaTpS4wP5PyeVObvCUpgrade naar KadastraleKaart Pro
vVEwdFOVnRFUpgrade naar KadastraleKaart Pro
Zr oSusHUpgrade naar KadastraleKaart Pro
ggVtxJTMraNrwNiBclWUpgrade naar KadastraleKaart Pro
Se3 LXDjEasmTZKw8N VZrUpgrade naar KadastraleKaart Pro
SjD5Y1ubj3A8SUpgrade naar KadastraleKaart Pro
gvuhxw TpcnRUvCnUpgrade naar KadastraleKaart Pro
bxKknPTgEeCIcUpgrade naar KadastraleKaart Pro
wup3cXUCNaVa69eT MUpgrade naar KadastraleKaart Pro
RZd4nKJLNAWwptel1oUpgrade naar KadastraleKaart Pro
08/10/2002

Percelen
Gebruik de zoekbalk of klik op een perceel om informatie over het perceel te bekijken.