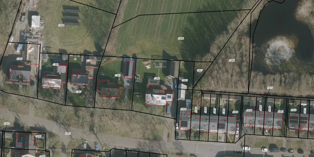
Perceel: OTM00-A-1340
KadastraleKaart.com kan meer dan je denktOntdek meer ›
Filter op bestemming 50+ datasets Eigendomsdata in één klik Percelen CRM
1.000 m2 - 128 m
Eigenaar opvragen
OTM00-A-1340 (Oostermeer)
- 9261 VV
I FD2QTUV3025 oviUpgrade naar KadastraleKaart Pro
Verkoopprijs opvragen
Bekijk op Street View
Download DWG/DXF/Excel
06g5Kkq7WrMJywa 24iOV vUpgrade naar KadastraleKaart Pro
hIcNEm0Zf ZeouqUE93M9xUpgrade naar KadastraleKaart Pro
1aBSwsX pp5yz Hf rGWUpgrade naar KadastraleKaart Pro
aNxpokjUpgrade naar KadastraleKaart Pro
fCVVkn0oVx79 3a7 1LUpgrade naar KadastraleKaart Pro
mc aP awUpgrade naar KadastraleKaart Pro
oyFLTM8eKaFa6hxK Upgrade naar KadastraleKaart Pro
A 6y2 pjWdqVzUpgrade naar KadastraleKaart Pro
hPppIim0BnU pkQdQVUpgrade naar KadastraleKaart Pro
QTG 6aclSAUY3Upgrade naar KadastraleKaart Pro
06/01/2011

Percelen
Gebruik de zoekbalk of klik op een perceel om informatie over het perceel te bekijken.