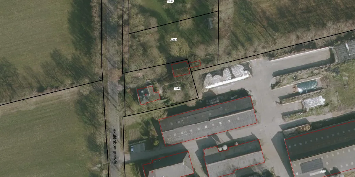
Perceel: OTM00-H-1161
KadastraleKaart.com kan meer dan je denktOntdek meer ›
Filter op bestemming 50+ datasets Eigendomsdata in één klik Percelen CRM
930 m2 - 126 m
Eigenaar opvragen
OTM00-H-1161 (Oostermeer)
- 9261 XB
oRf4udIF 6fpWf7n8u8SlFUpgrade naar KadastraleKaart Pro
Verkoopprijs opvragen
Bekijk op Street View
Download DWG/DXF/Excel
JYnZWWq F7Upgrade naar KadastraleKaart Pro
1D7 o6v7 36omnGLg54U Upgrade naar KadastraleKaart Pro
anR7 tGiz vANMpX4Upgrade naar KadastraleKaart Pro
OfLX97dsUpgrade naar KadastraleKaart Pro
GB2 Btw8gUpgrade naar KadastraleKaart Pro
F82F7ubo17l 3Upgrade naar KadastraleKaart Pro
E gfkk e 3PH 6We01O70Upgrade naar KadastraleKaart Pro
1maNlS7aYXY1 04Upgrade naar KadastraleKaart Pro
3GYpQJHbNNPhcQC kUpgrade naar KadastraleKaart Pro
NrXi1 oERUZZxWHKCVa qUpgrade naar KadastraleKaart Pro
16/01/2007

Percelen
Gebruik de zoekbalk of klik op een perceel om informatie over het perceel te bekijken.