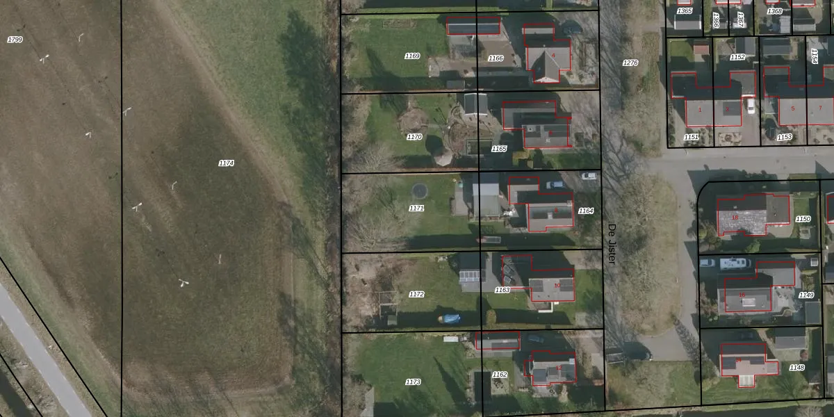
Perceel: OTM00-K-1171
Geen adressen bij dit perceel
634 m2 - 105 m
Eigenaar opvragen
OTM00-K-1171 (Oostermeer)
- Geen postcode aanwezig
l5j8 m9ESMLsMN9pjXxx69UmGjlVKq7Upgrade naar KadastraleKaart Pro
Bekijk op Street View
Download DWG/DXF/Excel
IWrR9bd2uurZAUpgrade naar KadastraleKaart Pro
cH28JdrvbE9dka hE9mUpgrade naar KadastraleKaart Pro
j1bLOGZeBtyDZzGNUpgrade naar KadastraleKaart Pro
Fxqcz NjGfWUpgrade naar KadastraleKaart Pro
WzRDdPNncY4 BDwfUpgrade naar KadastraleKaart Pro
VLCSuJ jGhdxDM pUpgrade naar KadastraleKaart Pro
qhXxGjSazNIYcVw FSUpgrade naar KadastraleKaart Pro
KzFAtt3oVjh4k9yV4kJTgKUpgrade naar KadastraleKaart Pro
PL5cCSCV73KN5K4sz5 qrMUpgrade naar KadastraleKaart Pro
nBg0RG jiJUpgrade naar KadastraleKaart Pro
15/01/1998

Percelen
Gebruik de zoekbalk of klik op een perceel om informatie over het perceel te bekijken.