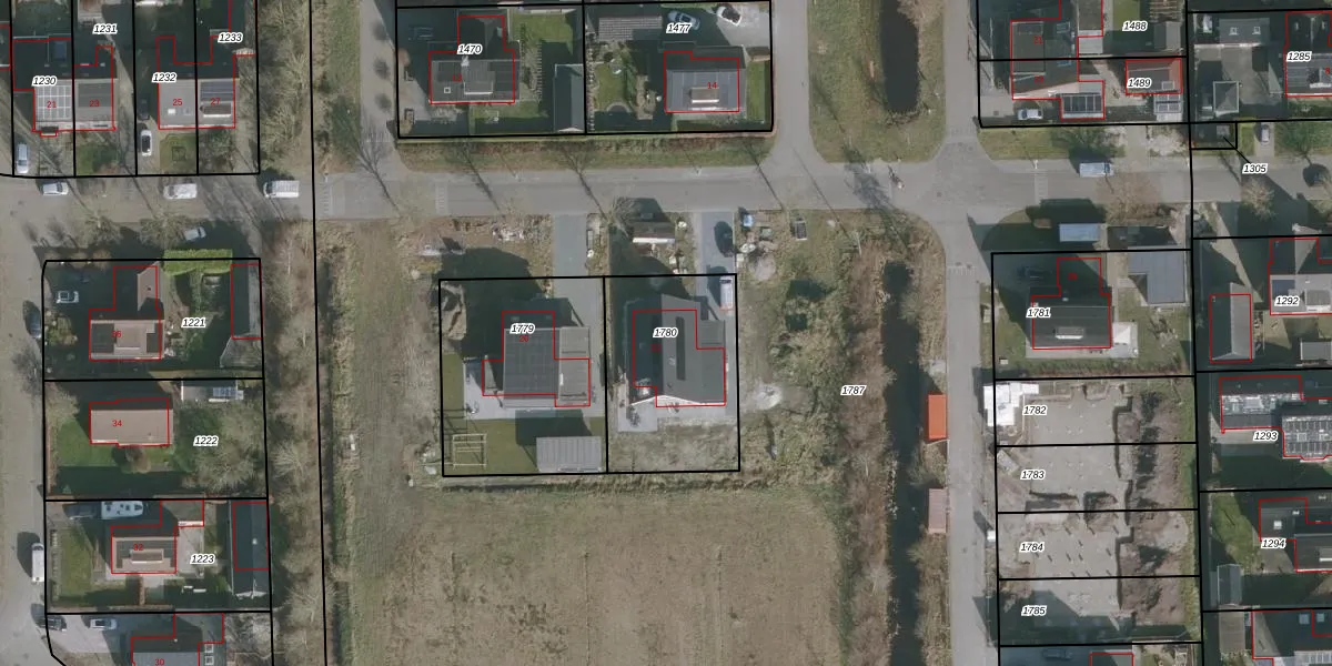
Perceel: OTM00-K-1780
584 m2 - 99 m
Eigenaar opvragen
OTM00-K-1780 (Oostermeer)
- 9262 MB
h uxh24FJLoOcaJ6yHjUpgrade naar KadastraleKaart Pro
Bekijk op Street View
Download DWG/DXF/Excel
B VaZD5YmXVpQmm13a5AwUpgrade naar KadastraleKaart Pro
DEhmi PRdmSl6z RUpgrade naar KadastraleKaart Pro
xU9rR4 3Upgrade naar KadastraleKaart Pro
LZov9QGTjDUpgrade naar KadastraleKaart Pro
Yxcm h4UOxvl6rXdQJ TALGUpgrade naar KadastraleKaart Pro
EWFX mYqUpgrade naar KadastraleKaart Pro
V 72Tvu2eGUpgrade naar KadastraleKaart Pro
cwUT8QBu V 2pGS SsMTE2gUpgrade naar KadastraleKaart Pro
E7qu0kB5MC2divcACp1MnVUpgrade naar KadastraleKaart Pro
Q5W1z2qBXOR4K 0O8zUpgrade naar KadastraleKaart Pro
13/09/2021

Percelen
Gebruik de zoekbalk of klik op een perceel om informatie over het perceel te bekijken.