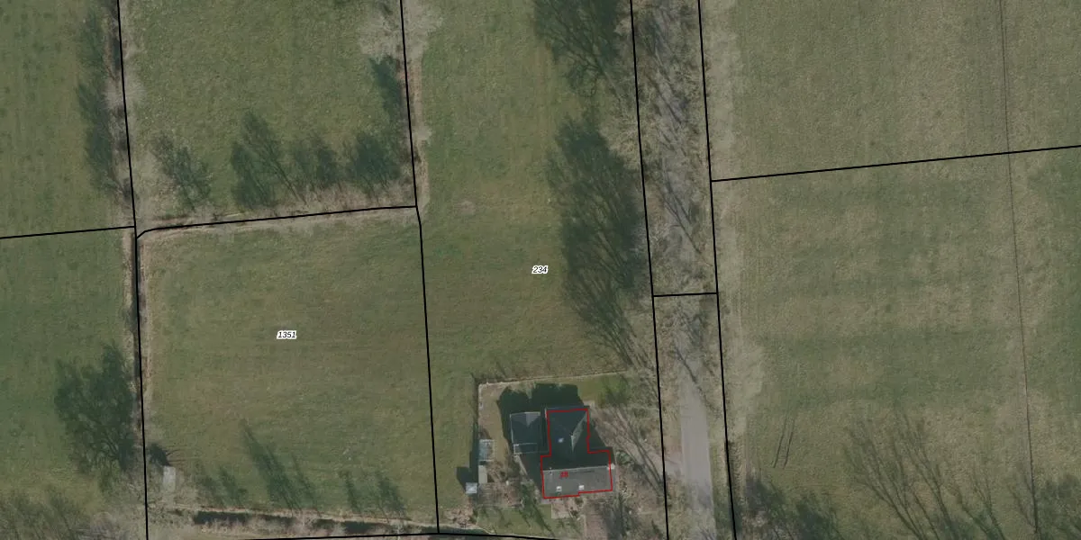
Perceel: OTM00-K-234
KadastraleKaart.com kan meer dan je denktOntdek meer ›
Filter op bestemming 50+ datasets Eigendomsdata in één klik Percelen CRM
5.680 m2 - 352 m
Eigenaar opvragen
OTM00-K-234 (Oostermeer)
- 9262 SH
dhsyJIOEs2NFA DXm8YMuq aOUpgrade naar KadastraleKaart Pro
Bekijk op Street View
Download DWG/DXF/Excel
SvzknoZrsb3ZqtXY54 Upgrade naar KadastraleKaart Pro
v6nc xLKp vMUpgrade naar KadastraleKaart Pro
ryBoqjpTswMcnPZUpgrade naar KadastraleKaart Pro
MSkdeLrA01Upgrade naar KadastraleKaart Pro
4dLbEW7oEDUpgrade naar KadastraleKaart Pro
IhU dUe HgfUpgrade naar KadastraleKaart Pro
rop 29i9 Upgrade naar KadastraleKaart Pro
SiT1I sL8B6DbFYWOzX3Upgrade naar KadastraleKaart Pro
EpEwbE0LBbUpgrade naar KadastraleKaart Pro
YFB ItK8 KQUUUpgrade naar KadastraleKaart Pro
29/09/2003

Percelen
Gebruik de zoekbalk of klik op een perceel om informatie over het perceel te bekijken.