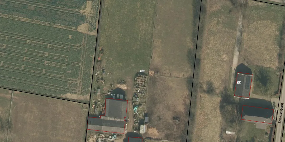
Perceel: OTS00-E-260
KadastraleKaart.com kan meer dan je denktOntdek meer ›
Filter op bestemming 50+ datasets Eigendomsdata in één klik Percelen CRM
10.000 m2 - 426 m
Eigenaar opvragen
OTS00-E-260 (Ottersum)
- 6599 CA
7lbk rFF CR svrdwMUpgrade naar KadastraleKaart Pro
Verkoopprijs opvragen
Bekijk op Street View
Download DWG/DXF/Excel
ko2soqH6Cb3p6Upgrade naar KadastraleKaart Pro
LS0 GO1nPVUpgrade naar KadastraleKaart Pro
g54GOglpT0ssWuJd7bnaaUpgrade naar KadastraleKaart Pro
NRtH7XyH1iUpgrade naar KadastraleKaart Pro
CzohxcZcnNOxux8ZilpFUpgrade naar KadastraleKaart Pro
f4cP 2y8 sCMUpgrade naar KadastraleKaart Pro
I Str1xkL1Upgrade naar KadastraleKaart Pro
C noDM4JZytuG19p0KUpgrade naar KadastraleKaart Pro
aPHZ1HUWamhqCHzVbUpgrade naar KadastraleKaart Pro
4H0b6MuTUpgrade naar KadastraleKaart Pro
10/12/2007

Percelen
Gebruik de zoekbalk of klik op een perceel om informatie over het perceel te bekijken.