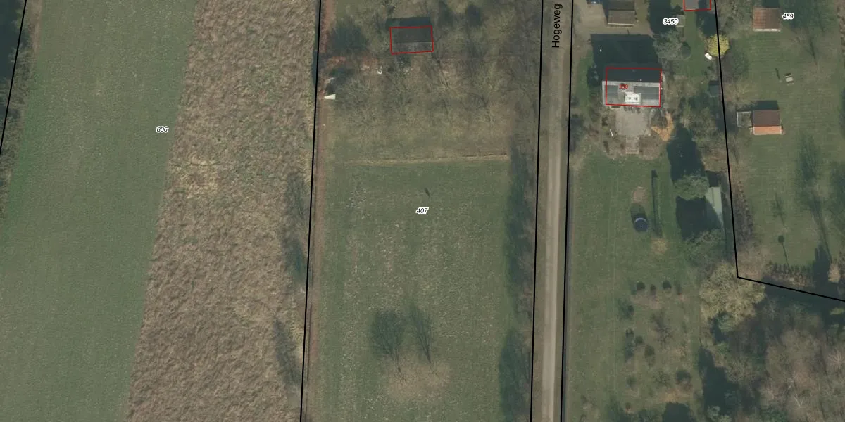
Perceel: OTS00-E-407
KadastraleKaart.com kan meer dan je denktOntdek meer ›
Filter op bestemming 50+ datasets Eigendomsdata in één klik Percelen CRM
11.070 m2 - 521 m
Eigenaar opvragen
OTS00-E-407 (Ottersum)
- 6599 CD
sO9V j1 IUAfcTi5MUpgrade naar KadastraleKaart Pro
Bekijk op Street View
Download DWG/DXF/Excel
zlJLHRxrfon304Upgrade naar KadastraleKaart Pro
lSiKHjnCzXkUafl0zbc7rbUpgrade naar KadastraleKaart Pro
H cqeutk P4TvnS1Upgrade naar KadastraleKaart Pro
YM8qWDQvMffBt3mVaMfusUpgrade naar KadastraleKaart Pro
xbN65aZWcs AB9RFEAiicUpgrade naar KadastraleKaart Pro
l5iuTqzxIUpgrade naar KadastraleKaart Pro
9 oxCD7sg3qt88X9YUpgrade naar KadastraleKaart Pro
J PWCoxrcVzgqtCwUpgrade naar KadastraleKaart Pro
KER 4dS7BTP QsPfvrNKUpgrade naar KadastraleKaart Pro
Z zo3 QUK 4EksuQi pnAUpgrade naar KadastraleKaart Pro
10/12/2007

Percelen
Gebruik de zoekbalk of klik op een perceel om informatie over het perceel te bekijken.