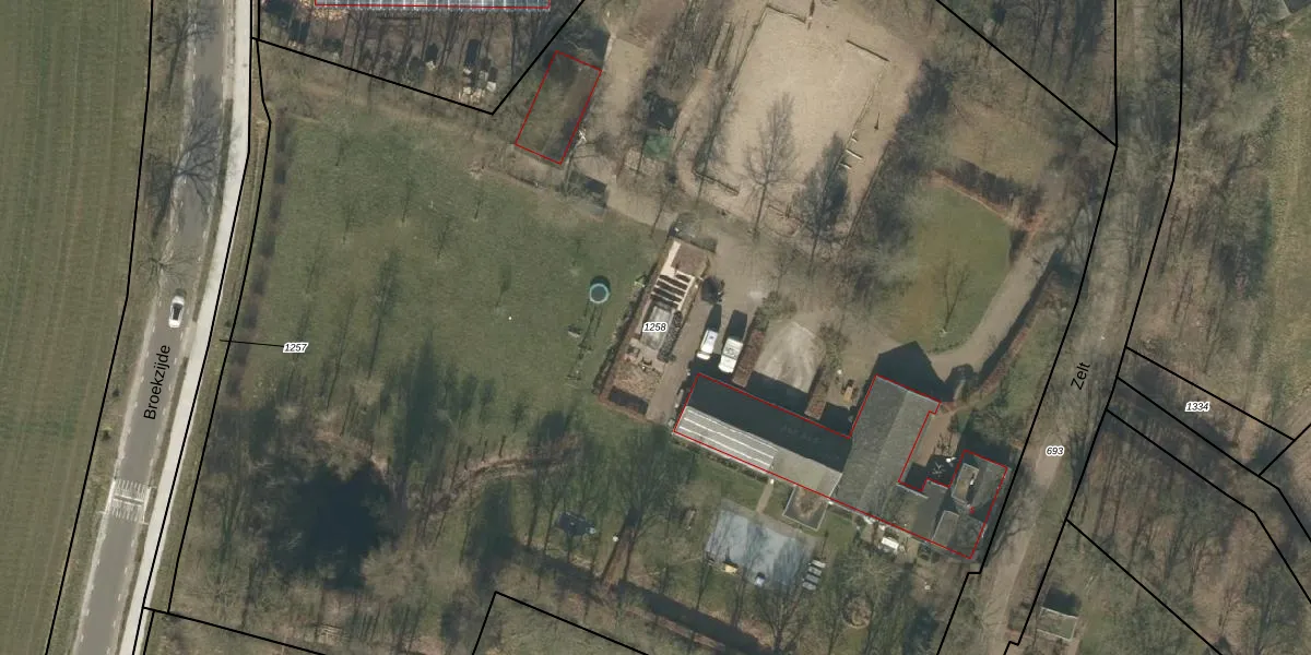
Perceel: OTW01-L-1258
KadastraleKaart.com kan meer dan je denktOntdek meer ›
Filter op bestemming 50+ datasets Eigendomsdata in één klik Percelen CRM
12.730 m2 - 490 m
Eigenaar opvragen
OTW01-L-1258 (Oisterwijk)
- 5066 PK
Mhp h4ugyidQ P0XjeYLB3ue uiokUpgrade naar KadastraleKaart Pro
Verkoopprijs opvragen
Bekijk op Street View
Download DWG/DXF/Excel
YjID8nOcFlnvKczF41Upgrade naar KadastraleKaart Pro
9Wpdeiv1JJIUpgrade naar KadastraleKaart Pro
mDJMQqPJH0H4BfLnlSin hqUpgrade naar KadastraleKaart Pro
n7q3ma HQ8 5l 8O4vYUpgrade naar KadastraleKaart Pro
YjzQSchcPBu7IjU Upgrade naar KadastraleKaart Pro
m1q mRI8UMUpgrade naar KadastraleKaart Pro
U sKoQ6 SPUpgrade naar KadastraleKaart Pro
oQLV0ZSFiD5d3uY RHoYItUpgrade naar KadastraleKaart Pro
hd0 6EfsLBaJhs cUpgrade naar KadastraleKaart Pro
mrS6 zkB anBXHkbLAaEt9PUpgrade naar KadastraleKaart Pro
31/07/2023

Percelen
Gebruik de zoekbalk of klik op een perceel om informatie over het perceel te bekijken.