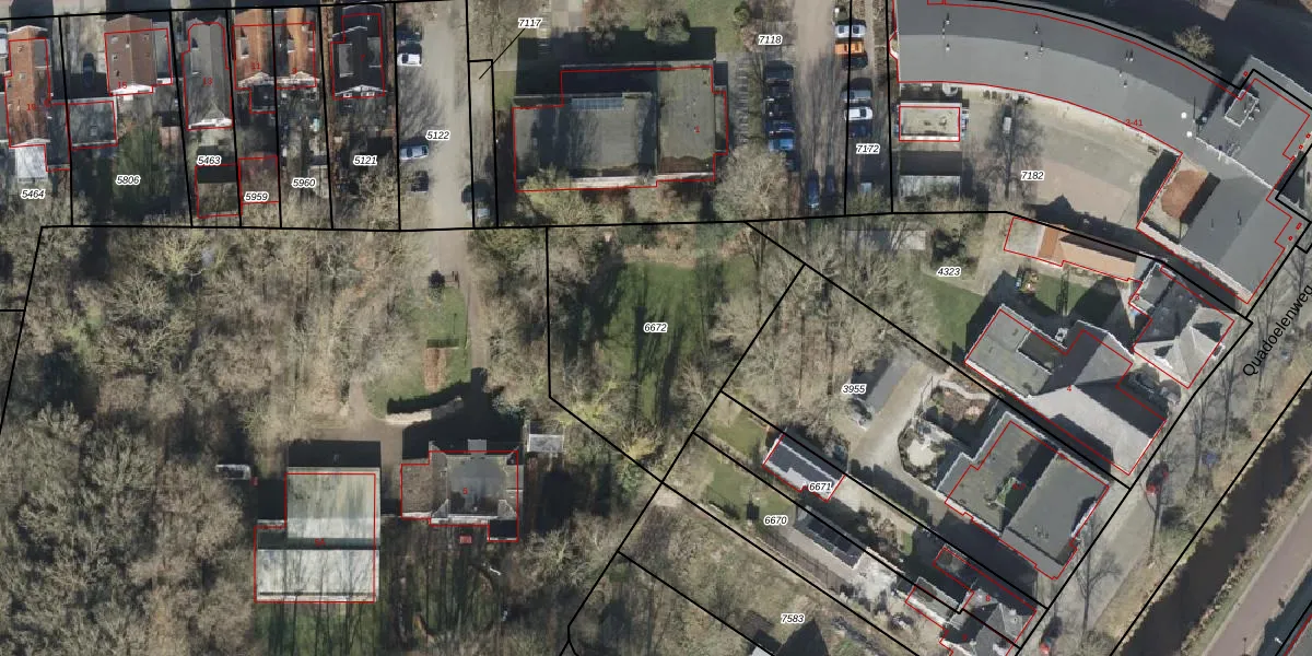
Perceel: OTW02-A-6672
KadastraleKaart.com kan meer dan je denktOntdek meer ›
Filter op bestemming 50+ datasets Eigendomsdata in één klik Percelen CRM
Geen adressen bij dit perceel
1.039 m2 - 129 m
Eigenaar opvragen
OTW02-A-6672 (Oosterwolde)
- Geen postcode aanwezig
6 emqtvWfIWk4rg2yPGzIfEUpgrade naar KadastraleKaart Pro
Bekijk op Street View
Download DWG/DXF/Excel
SmZdrw7DY7pB0mUpgrade naar KadastraleKaart Pro
da jgH a46OnmzKUUpgrade naar KadastraleKaart Pro
4h6FdtqlSej5sm bUpgrade naar KadastraleKaart Pro
OJKpV A9pzf oDY42Upgrade naar KadastraleKaart Pro
tjV8nPOit6m93voYUpgrade naar KadastraleKaart Pro
uF3IkCeERq6pAcfBvfEDxPUpgrade naar KadastraleKaart Pro
q Ux wJ0Upgrade naar KadastraleKaart Pro
Jiy4U004Upgrade naar KadastraleKaart Pro
TD5115fGT wvCYU2ZUpgrade naar KadastraleKaart Pro
7y Ss06LDLRQfKRdjSRUpgrade naar KadastraleKaart Pro
15/01/1998

Percelen
Gebruik de zoekbalk of klik op een perceel om informatie over het perceel te bekijken.