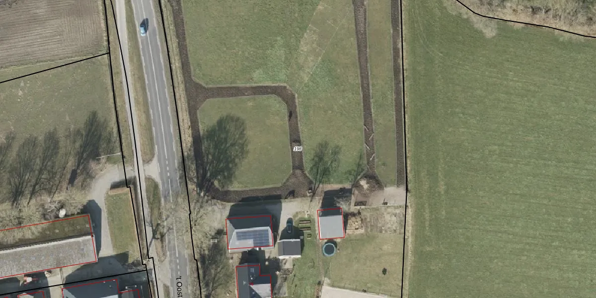
Perceel: OTW02-E-198
KadastraleKaart.com kan meer dan je denktOntdek meer ›
Filter op bestemming 50+ datasets Eigendomsdata in één klik Percelen CRM
9.300 m2 - 395 m
Eigenaar opvragen
OTW02-E-198 (Oosterwolde)
- 8431 LL
hGip2F8LBXxOipnM2r lJ45x XIUpgrade naar KadastraleKaart Pro
Verkoopprijs opvragen
Bekijk op Street View
Download DWG/DXF/Excel
P5RJ5yTMCVgF4GrjDvQ9Upgrade naar KadastraleKaart Pro
K0slDVdPKQCtWG7AUpgrade naar KadastraleKaart Pro
92wc ytTaUpgrade naar KadastraleKaart Pro
GSoqGg5jUpgrade naar KadastraleKaart Pro
vvSbQVB0cUpgrade naar KadastraleKaart Pro
OSCNzgl5KCs06noEvUpgrade naar KadastraleKaart Pro
MS j8CReOKvuk8EUpgrade naar KadastraleKaart Pro
JfIPTgKvjvNIX4bl9CY4gnxUpgrade naar KadastraleKaart Pro
kVg9 5d5JwWeC8XBI 0Upgrade naar KadastraleKaart Pro
zibksL2Upgrade naar KadastraleKaart Pro
31/08/2004

Percelen
Gebruik de zoekbalk of klik op een perceel om informatie over het perceel te bekijken.