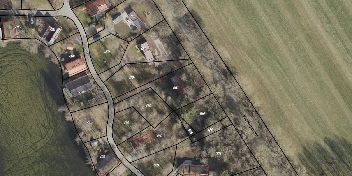
Perceel: OTW02-G-614
KadastraleKaart.com kan meer dan je denktOntdek meer ›
Filter op bestemming 50+ datasets Eigendomsdata in één klik Percelen CRM
605 m2 - 140 m
Eigenaar opvragen
OTW02-G-614 (Oosterwolde)
- 8431 RL
TH5oknocgWrc63VnyFDZdpHZnybf4Upgrade naar KadastraleKaart Pro
Bekijk op Street View
Download DWG/DXF/Excel
g 9LTbZVEyWhvy it5gw9Upgrade naar KadastraleKaart Pro
2nQqAG PyPKdvmUpgrade naar KadastraleKaart Pro
UB dK9t3ty Upgrade naar KadastraleKaart Pro
8EEn1mUmKZynb7WncUpgrade naar KadastraleKaart Pro
mwsgkNzQjl1 Upgrade naar KadastraleKaart Pro
b0xQMQXK3fMGdUpgrade naar KadastraleKaart Pro
XPhQRGMlBdKzxeLi 5loCjUpgrade naar KadastraleKaart Pro
sp9aJVY GHEhBJBVUpgrade naar KadastraleKaart Pro
s5HiOsTY2w3PLoeJFrUpgrade naar KadastraleKaart Pro
mJQdOyra52DiYDUpgrade naar KadastraleKaart Pro
03/04/2023

Percelen
Gebruik de zoekbalk of klik op een perceel om informatie over het perceel te bekijken.