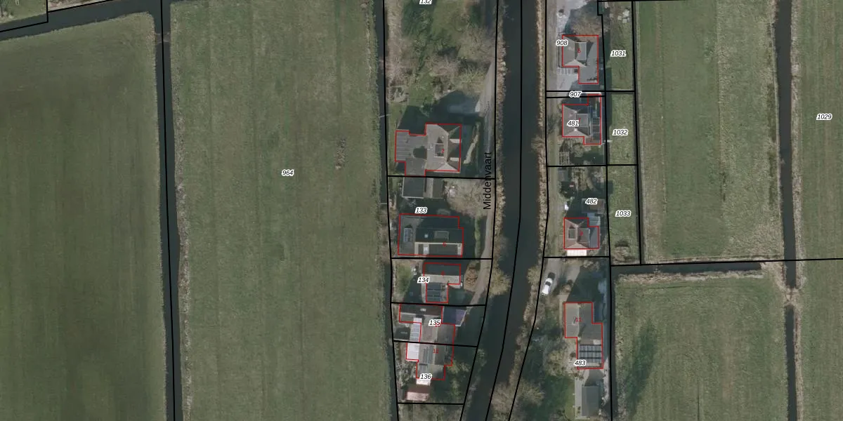
Perceel: OTZ00-L-133
KadastraleKaart.com kan meer dan je denktOntdek meer ›
Filter op bestemming 50+ datasets Eigendomsdata in één klik Percelen CRM
485 m2 - 88 m
Eigenaar opvragen
OTZ00-L-133 (Oosterzee)
- 8537 SL
fxSbsWYJyvVtVHtvH7mUpgrade naar KadastraleKaart Pro
Verkoopprijs opvragen
Bekijk op Street View
Download DWG/DXF/Excel
3GD1bYC ci0EIVAjKpSUpgrade naar KadastraleKaart Pro
Nq 7yaXUpgrade naar KadastraleKaart Pro
e67RUGmZr LfWVDhUpgrade naar KadastraleKaart Pro
9wg9O4vDEsU2yrUpgrade naar KadastraleKaart Pro
c7WNUrsye iQ90le EUpgrade naar KadastraleKaart Pro
ZDd8luLbofB9bVqUpgrade naar KadastraleKaart Pro
9WhZw8IXO8Upgrade naar KadastraleKaart Pro
SYVHvQ7RsZg6P 00KivWxedUpgrade naar KadastraleKaart Pro
XMA4GuahYgebjDZRUpgrade naar KadastraleKaart Pro
pjBcd7S mUwr BJUpgrade naar KadastraleKaart Pro
22/10/2008

Percelen
Gebruik de zoekbalk of klik op een perceel om informatie over het perceel te bekijken.