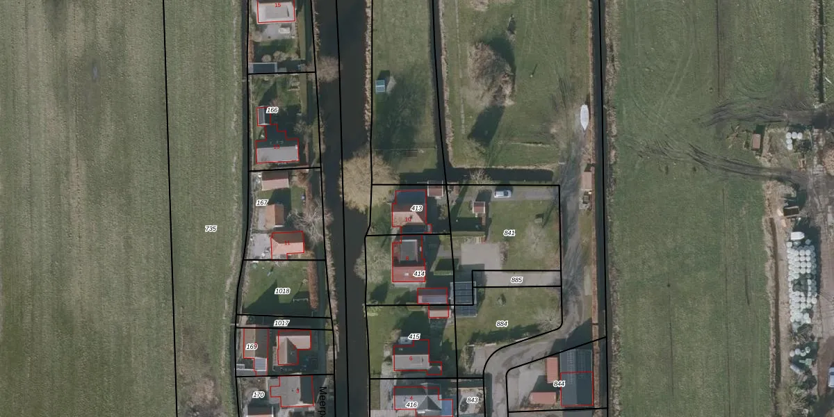
Perceel: OTZ00-L-413
KadastraleKaart.com kan meer dan je denktOntdek meer ›
Filter op bestemming 50+ datasets Eigendomsdata in één klik Percelen CRM
225 m2 - 63 m
Eigenaar opvragen
OTZ00-L-413 (Oosterzee)
- 8537 SH
VCr TnSddTvQtx dUpgrade naar KadastraleKaart Pro
Verkoopprijs opvragen
Bekijk op Street View
Download DWG/DXF/Excel
GgSUluoVR Upgrade naar KadastraleKaart Pro
FAG3JN3BgTOUpgrade naar KadastraleKaart Pro
V5TZrkpGuHoUpgrade naar KadastraleKaart Pro
aqfVP BafL Ksk5IBxOzm0Upgrade naar KadastraleKaart Pro
B9g0oOOb0InBDUivENUpgrade naar KadastraleKaart Pro
lk6e1UcHxm32upSEgWc0X21Upgrade naar KadastraleKaart Pro
KHB HM5LWUpgrade naar KadastraleKaart Pro
TziXy XUgWv i1 V90ou Upgrade naar KadastraleKaart Pro
Hket9GCVb81vUpgrade naar KadastraleKaart Pro
jtEcd9CiMX XUpgrade naar KadastraleKaart Pro
27/02/2008

Percelen
Gebruik de zoekbalk of klik op een perceel om informatie over het perceel te bekijken.