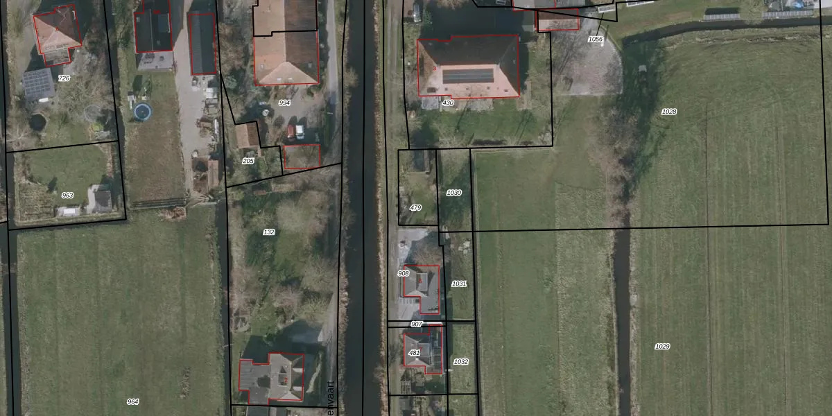
Perceel: OTZ00-L-479
KadastraleKaart.com kan meer dan je denktOntdek meer ›
Filter op bestemming 50+ datasets Eigendomsdata in één klik Percelen CRM
Geen adressen bij dit perceel
170 m2 - 55 m
Eigenaar opvragen
OTZ00-L-479 (Oosterzee)
- Geen postcode aanwezig
TAG40 pj7A Syv9q GfM2Upgrade naar KadastraleKaart Pro
Bekijk op Street View
Download DWG/DXF/Excel
7fsYlqdJPo 7UNyprUpgrade naar KadastraleKaart Pro
c LA29H 63PhUpgrade naar KadastraleKaart Pro
K4 yBfPo34 knUpgrade naar KadastraleKaart Pro
9Lo YDxwFeg7AvIcuseW7BUpgrade naar KadastraleKaart Pro
mvU0JEN4JpWGb5OUpgrade naar KadastraleKaart Pro
Qx 2qZ9kVBSgzUxZpUpgrade naar KadastraleKaart Pro
gcYrGx GXBMMM5Upgrade naar KadastraleKaart Pro
GQiFpKkKrrQGp 4KUpgrade naar KadastraleKaart Pro
C5 B3hbh9Upgrade naar KadastraleKaart Pro
PbaxJ95Jp7qnw vYUpgrade naar KadastraleKaart Pro
27/02/2008

Percelen
Gebruik de zoekbalk of klik op een perceel om informatie over het perceel te bekijken.