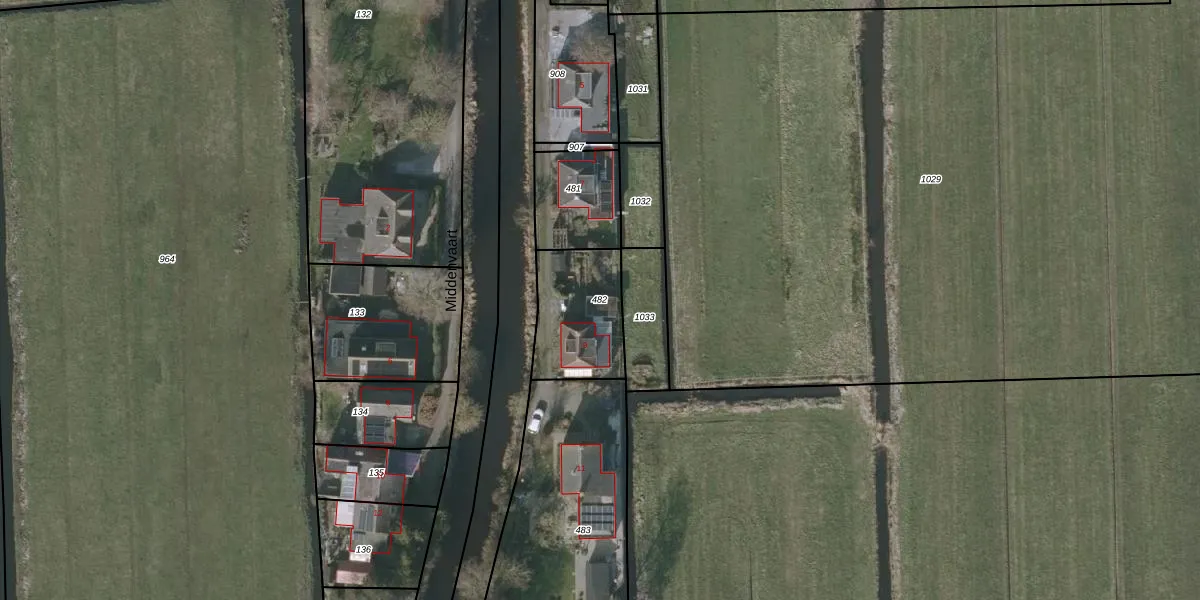
Perceel: OTZ00-L-482
KadastraleKaart.com kan meer dan je denktOntdek meer ›
Filter op bestemming 50+ datasets Eigendomsdata in één klik Percelen CRM
310 m2 - 73 m
Eigenaar opvragen
OTZ00-L-482 (Oosterzee)
- 8537 SK
R hkSsa1pMhUjVuFcoUpgrade naar KadastraleKaart Pro
Verkoopprijs opvragen
Bekijk op Street View
Download DWG/DXF/Excel
brT7uN2 Upgrade naar KadastraleKaart Pro
7woRI y5nUpgrade naar KadastraleKaart Pro
RJLNhoH0f4M dOoIyzUpgrade naar KadastraleKaart Pro
S8iHJHaldB0f2 OaDjGJWNGUpgrade naar KadastraleKaart Pro
M 9FztnDhzWFIVUpgrade naar KadastraleKaart Pro
OxxPsRbc6YA6 9IgRkGKlydUpgrade naar KadastraleKaart Pro
KhF lZ1jZUpgrade naar KadastraleKaart Pro
K7SWHglwWf3Upgrade naar KadastraleKaart Pro
ljDoP c10tGXUpgrade naar KadastraleKaart Pro
Q2h cKHp zcOFGUi63fZUpgrade naar KadastraleKaart Pro
26/10/2023

Percelen
Gebruik de zoekbalk of klik op een perceel om informatie over het perceel te bekijken.