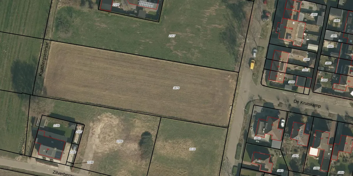
Perceel: OVA00-C-1879
KadastraleKaart.com kan meer dan je denktOntdek meer ›
Filter op bestemming 50+ datasets Eigendomsdata in één klik Percelen CRM
Geen adressen bij dit perceel
3.580 m2 - 289 m
Eigenaar opvragen
OVA00-C-1879 (Overasselt)
- Geen postcode aanwezig
atdOiyqrSWDzO5ut nBUpgrade naar KadastraleKaart Pro
Bekijk op Street View
Download DWG/DXF/Excel
1f9HF2NuUpgrade naar KadastraleKaart Pro
lvtevI05KUpgrade naar KadastraleKaart Pro
VD4Nri3h2chgM34ZOCUpgrade naar KadastraleKaart Pro
sVPH PovNXp0 Upgrade naar KadastraleKaart Pro
2XWzPy8jJb5XoUpgrade naar KadastraleKaart Pro
z IalqkjXYFEUpgrade naar KadastraleKaart Pro
rp6xowOV2Upgrade naar KadastraleKaart Pro
zJocW1 eH7dZUpgrade naar KadastraleKaart Pro
Z8vgtTvTaSJTGGPLGuKUpgrade naar KadastraleKaart Pro
yf lGkebo9O EQoO3dFyhUpgrade naar KadastraleKaart Pro
10/02/2010

Percelen
Gebruik de zoekbalk of klik op een perceel om informatie over het perceel te bekijken.