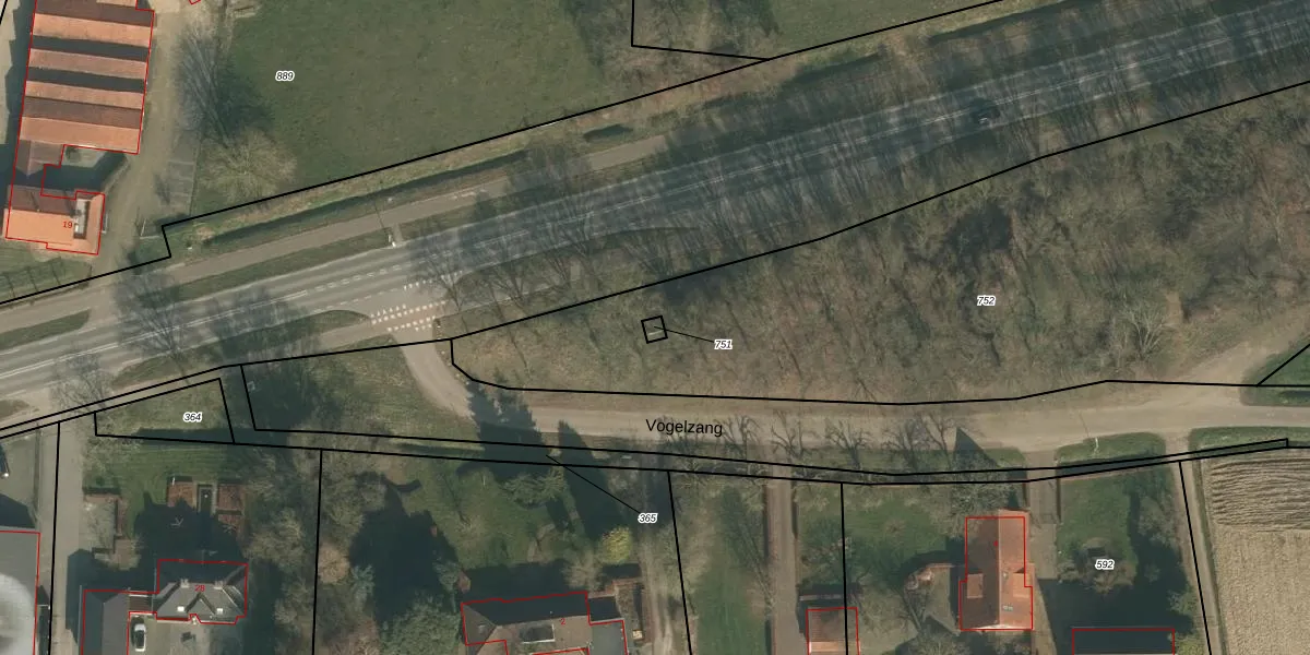
Perceel: OVA00-G-751
KadastraleKaart.com kan meer dan je denktOntdek meer ›
Filter op bestemming 50+ datasets Eigendomsdata in één klik Percelen CRM
Geen adressen bij dit perceel
10 m2 - 13 m
Eigenaar opvragen
OVA00-G-751 (Overasselt)
- Geen postcode aanwezig
E6hWZfSE7MPPp A Gl8 Upgrade naar KadastraleKaart Pro
Bekijk op Street View
Download DWG/DXF/Excel
G1p5B wsOMRUpgrade naar KadastraleKaart Pro
LSLRlJLJjb7KT1j GUpgrade naar KadastraleKaart Pro
EZBOynJ45 upk54kUpgrade naar KadastraleKaart Pro
F6BKVr2Zc g8smUpgrade naar KadastraleKaart Pro
ZEDlw5UC4Upgrade naar KadastraleKaart Pro
GjkZbnZ9F62iuq3g lFUpgrade naar KadastraleKaart Pro
z1O0y9QUUpgrade naar KadastraleKaart Pro
XX 1AKvSh73G2e6NCrRdUpgrade naar KadastraleKaart Pro
OiWAcTm76Upgrade naar KadastraleKaart Pro
3YX74 FDVusEe3Upgrade naar KadastraleKaart Pro
29/01/2010

Percelen
Gebruik de zoekbalk of klik op een perceel om informatie over het perceel te bekijken.