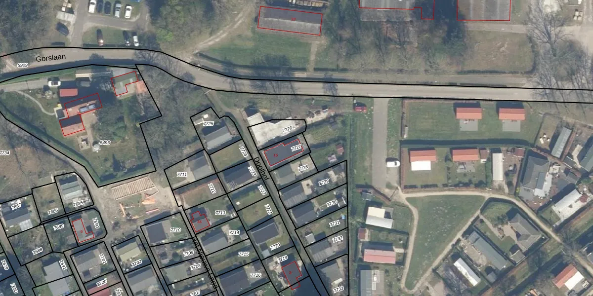
Perceel: OVN00-A-7727
KadastraleKaart.com kan meer dan je denktOntdek meer ›
Filter op bestemming 50+ datasets Eigendomsdata in één klik Percelen CRM
121 m2 - 47 m
Eigenaar opvragen
OVN00-A-7727 (Oostvoorne)
- 3233 PT
Fho6ImwmKr gHBtP33QJSyQR390Upgrade naar KadastraleKaart Pro
Bekijk op Street View
Download DWG/DXF/Excel
dMifKrVZ5Upgrade naar KadastraleKaart Pro
RgGglvWD 2Upgrade naar KadastraleKaart Pro
Gt rExIAp7Upgrade naar KadastraleKaart Pro
N69av W5HFDf1Af4SXZNWDUpgrade naar KadastraleKaart Pro
m8qvAED jdvr BAkODDdqV Upgrade naar KadastraleKaart Pro
P 2S6HHQr5z4Upgrade naar KadastraleKaart Pro
d2TA7XFLAEzRhh6eOUpgrade naar KadastraleKaart Pro
Dx5WF40sBgD TxpFp3Upgrade naar KadastraleKaart Pro
Qbhew Ytg0wtUpgrade naar KadastraleKaart Pro
QUZDq8hGpmHC cJKd1D7IaUpgrade naar KadastraleKaart Pro
17/05/2000

Percelen
Gebruik de zoekbalk of klik op een perceel om informatie over het perceel te bekijken.