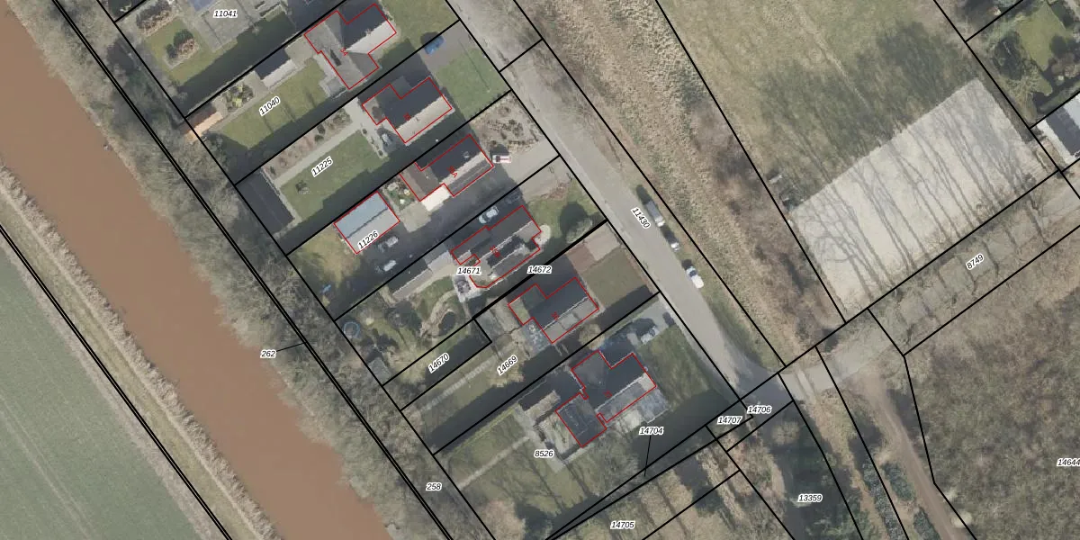
Perceel: OWD00-C-14672
KadastraleKaart.com kan meer dan je denktOntdek meer ›
Filter op bestemming 50+ datasets Eigendomsdata in één klik Percelen CRM
Geen adressen bij dit perceel
7 m2 - 62 m
Eigenaar opvragen
OWD00-C-14672 (Onstwedde)
- Geen postcode aanwezig
DDLKQmnH5lGtkN zlZ3d2Upgrade naar KadastraleKaart Pro
Bekijk op Street View
Download DWG/DXF/Excel
4Vt6aGowpSkXnK KfxUpgrade naar KadastraleKaart Pro
3S7Oc5RJw9NHO1UGUpgrade naar KadastraleKaart Pro
Y0XyGF ku4GUpgrade naar KadastraleKaart Pro
SLQR7VWb5Upgrade naar KadastraleKaart Pro
3iImoVXJIEq7Upgrade naar KadastraleKaart Pro
xGJ0dgT4DVb PBcyUpgrade naar KadastraleKaart Pro
G99wS2HT5guUpgrade naar KadastraleKaart Pro
kZTcvSDZZQLLl6AbUpgrade naar KadastraleKaart Pro
7QEW YCmog T3jZ9HgmUpgrade naar KadastraleKaart Pro
yjQz0QwNa5vUpgrade naar KadastraleKaart Pro
11/10/2016

Percelen
Gebruik de zoekbalk of klik op een perceel om informatie over het perceel te bekijken.