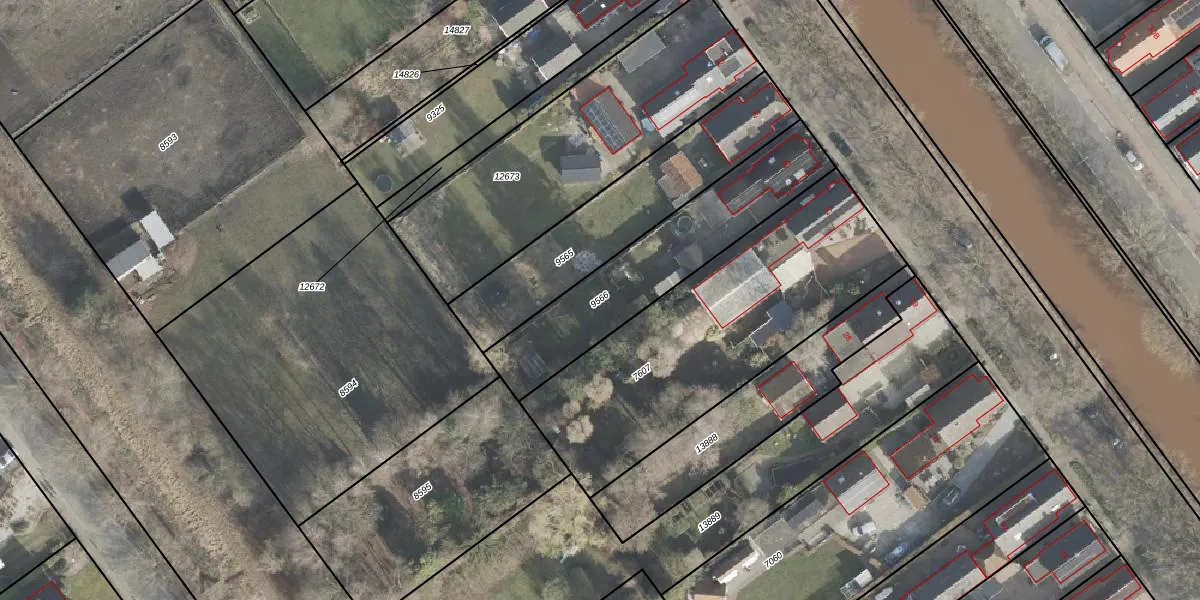
Perceel: OWD00-C-9566
KadastraleKaart.com kan meer dan je denktOntdek meer ›
Filter op bestemming 50+ datasets Eigendomsdata in één klik Percelen CRM
658 m2 - 152 m
Eigenaar opvragen
OWD00-C-9566 (Onstwedde)
- 9581 HB
ncsR lem9kU hAItGhu q VUpgrade naar KadastraleKaart Pro
Verkoopprijs opvragen
Bekijk op Street View
Download DWG/DXF/Excel
9gC1t n7oJGASlCJTSDlgdUpgrade naar KadastraleKaart Pro
4TAXhjIaioKyHGDB oUpgrade naar KadastraleKaart Pro
ebmSq78b0Mo6Nx9EDqUpgrade naar KadastraleKaart Pro
HiFwRGXmATgp 60fyWiUpgrade naar KadastraleKaart Pro
fzK4xsZY7GZaS0Fe4L6yZ8jUpgrade naar KadastraleKaart Pro
mJTWuA 1bSypkl9UmUpgrade naar KadastraleKaart Pro
RBEXrdwOlqFJLqlG4swcLlUpgrade naar KadastraleKaart Pro
izY 76zXokaBZUpgrade naar KadastraleKaart Pro
ai6v5PcFb3s lxfMTfqQd0fUpgrade naar KadastraleKaart Pro
zjHWzoSvZVAUpgrade naar KadastraleKaart Pro
29/03/1999

Percelen
Gebruik de zoekbalk of klik op een perceel om informatie over het perceel te bekijken.