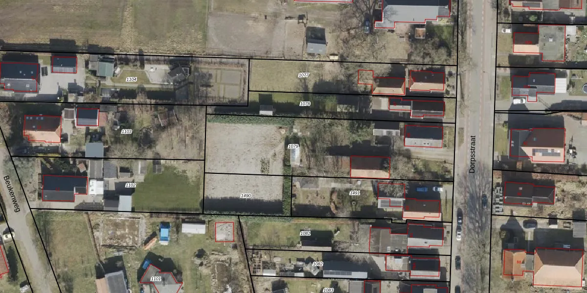
Perceel: OWD00-R-1079
KadastraleKaart.com kan meer dan je denktOntdek meer ›
Filter op bestemming 50+ datasets Eigendomsdata in één klik Percelen CRM
1.700 m2 - 210 m
Eigenaar opvragen
OWD00-R-1079 (Onstwedde)
- 9591 AS
wuQDMnO 48BpdEb 6hCMUpgrade naar KadastraleKaart Pro
Bekijk op Street View
Download DWG/DXF/Excel
eZQnxChy3VD UVUpgrade naar KadastraleKaart Pro
sTyUqnet15tUpgrade naar KadastraleKaart Pro
il8Ei gb8pJEMJ pjLEFetUpgrade naar KadastraleKaart Pro
XzGHuir9kxzt5X2TUpgrade naar KadastraleKaart Pro
Hr GAewkLapuWUpgrade naar KadastraleKaart Pro
jW WO02KJUpgrade naar KadastraleKaart Pro
D4a5rACa4IJA19HI0mUpgrade naar KadastraleKaart Pro
czBGaipvJwLfjMA uIUpgrade naar KadastraleKaart Pro
QqfXdfUKBQUpgrade naar KadastraleKaart Pro
11Xh 40vOKiN2nqkacTUpgrade naar KadastraleKaart Pro
31/01/2007

Percelen
Gebruik de zoekbalk of klik op een perceel om informatie over het perceel te bekijken.