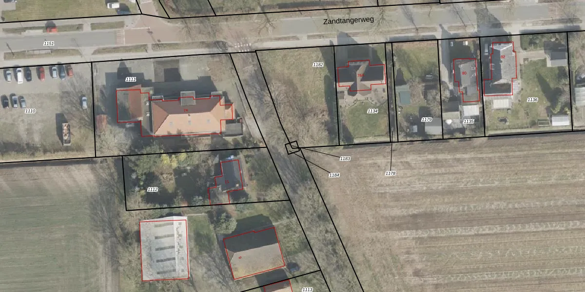
Perceel: OWD00-W-1183
KadastraleKaart.com kan meer dan je denktOntdek meer ›
Filter op bestemming 50+ datasets Eigendomsdata in één klik Percelen CRM
Geen adressen bij dit perceel
5 m2 - 9 m
Eigenaar opvragen
OWD00-W-1183 (Onstwedde)
- Geen postcode aanwezig
0Lwxk9ez czErrgOUpgrade naar KadastraleKaart Pro
Bekijk op Street View
Download DWG/DXF/Excel
8jYUiRNVUpgrade naar KadastraleKaart Pro
MhZj8 CkJP lZDUpgrade naar KadastraleKaart Pro
jms4c 37kODUpgrade naar KadastraleKaart Pro
QyNRNr0Sk8CsAFyx8MXKE7 Upgrade naar KadastraleKaart Pro
1W OUe 7 x7M124Z3GUpgrade naar KadastraleKaart Pro
qlh3EqC B4 yUpgrade naar KadastraleKaart Pro
GGqIqTmQEfO Upgrade naar KadastraleKaart Pro
XCw5wypKd7FKUpgrade naar KadastraleKaart Pro
CNvGv B0CUpgrade naar KadastraleKaart Pro
llt gIw5gqZr0Oy6Upgrade naar KadastraleKaart Pro
08/01/2003

Percelen
Gebruik de zoekbalk of klik op een perceel om informatie over het perceel te bekijken.